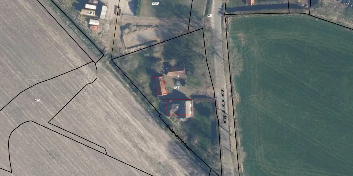
Perceel: AMF00-R-406

Adres bij perceel

Perceeloppervlakte & perceelomtrek

2.500 m2 - 235 m

Eigenaar van het perceel

Eigenaar opvragen

Kadastrale aanduiding

AMF00-R-406 (Amersfoort)

Postcode in perceel

    3836 PC

Type eigenaar

cJIhm7rlBVF GaSW xwUpgrade naar KadastraleKaart Pro

Woning verkocht in 2014

Verkoopprijs opvragen

Google Street View

Bekijk op Street View

Download

Download DWG/DXF/Excel

Gerelateerde percelen

xkCf2wOAT boUjTZUpgrade naar KadastraleKaart Pro

Bebouwd/onbebouwd/water/groen

1lSTf4cFphCUpgrade naar KadastraleKaart Pro
Administratieve eenheden
MJW Aud ARTv Q3ErS bUpgrade naar KadastraleKaart Pro

Appartementsrechten

kt0T5CmPn h6J3hUky9lhJaUpgrade naar KadastraleKaart Pro

Vergunningverlenende instanties

Cvu9CX1lfePxUpgrade naar KadastraleKaart Pro

Bedekking (BGT)

MmKyTmo v0hs4FQ5eqrM Upgrade naar KadastraleKaart Pro

Publiekrechtelijke beperkingen

CMirq2 xQkJUpgrade naar KadastraleKaart Pro

Grensnauwkeurigheid

9X M cUMMmT5 Y eUpgrade naar KadastraleKaart Pro

Coördinaten hoekpunten perceel

n HTVsgDFj6xm6yPvUpgrade naar KadastraleKaart Pro

Hoogteligging

uMTY4vBhjv0 00xDSs4Upgrade naar KadastraleKaart Pro

Laatst gewijzigd

08/04/1998

Kadastrale kaart met maatvoering 59,95
Kadastrale kaart pakket 28,95

Percelen

Gebruik de zoekbalk of klik op een perceel om informatie over het perceel te bekijken.
Locatie
Meten
Lagen
Download