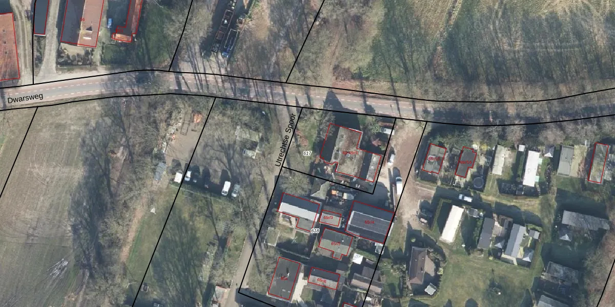
Perceel: AMR02-B-617

2 adressen bij perceel

Dwarsweg 65 t/m 65 r-1

Perceeloppervlakte & perceelomtrek

635 m2 - 108 m

Eigenaar van het perceel

Eigenaar opvragen

Kadastrale aanduiding

AMR02-B-617 (Amerongen)

Postcode in perceel

    3959 AG

Type eigenaar

z8D06V8G0lp0g YhVJDa6WKUpgrade naar KadastraleKaart Pro

Woning verkocht in 2023

Verkoopprijs opvragen

Google Street View

Bekijk op Street View

Download

Download DWG/DXF/Excel

Gerelateerde percelen

yMydqXDuuhua l OfUpgrade naar KadastraleKaart Pro

Bebouwd/onbebouwd/water/groen

8Qgr NvwE9zWJDUpgrade naar KadastraleKaart Pro
Administratieve eenheden
noNnA0Piu 3PgvQ5 JSASVOUpgrade naar KadastraleKaart Pro

Appartementsrechten

VlwhSlz Z1Zy38fUpgrade naar KadastraleKaart Pro

Vergunningverlenende instanties

9ze Cv7TUpgrade naar KadastraleKaart Pro

Bedekking (BGT)

6jxUD9WsFbUpgrade naar KadastraleKaart Pro

Publiekrechtelijke beperkingen

mOTKpvdMux0Phpg9Upgrade naar KadastraleKaart Pro

Grensnauwkeurigheid

O8T2ngkD8QUpgrade naar KadastraleKaart Pro

Coördinaten hoekpunten perceel

z vT hrO4O 3AwfUpgrade naar KadastraleKaart Pro

Hoogteligging

O E2 2wmzekkntsLUpgrade naar KadastraleKaart Pro

Laatst gewijzigd

15/05/2002

Kadastrale kaart met maatvoering 59,95
Kadastrale kaart pakket 28,95

Percelen

Gebruik de zoekbalk of klik op een perceel om informatie over het perceel te bekijken.
Locatie
Meten
Lagen
Download