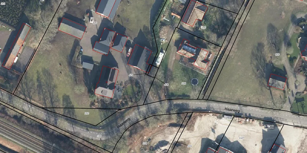
Perceel: AMR02-G-428

Adres bij perceel

Geen adressen bij dit perceel

Perceeloppervlakte & perceelomtrek

30 m2 - 24 m

Eigenaar van het perceel

Eigenaar opvragen

Kadastrale aanduiding

AMR02-G-428 (Amerongen)

Postcode in perceel

    Geen postcode aanwezig

Type eigenaar

tVbtfFWnuhVrltelcNfUpgrade naar KadastraleKaart Pro

Google Street View

Bekijk op Street View

Download

Download DWG/DXF/Excel

Gerelateerde percelen

eglmjF eUpgrade naar KadastraleKaart Pro

Bebouwd/onbebouwd/water/groen

SU bo8EiLV7Q42sY4P9pUpgrade naar KadastraleKaart Pro
Administratieve eenheden
2sWQx3G92mh5awh6ZH5TeUpgrade naar KadastraleKaart Pro

Appartementsrechten

fkc8O8nTYwOuDUpgrade naar KadastraleKaart Pro

Vergunningverlenende instanties

nUJJM3G5Upgrade naar KadastraleKaart Pro

Bedekking (BGT)

I1V72lJLvgk9VTTgC GUpgrade naar KadastraleKaart Pro

Publiekrechtelijke beperkingen

neudIf39kUpgrade naar KadastraleKaart Pro

Grensnauwkeurigheid

xK1u0 k7t7 k8Upgrade naar KadastraleKaart Pro

Coördinaten hoekpunten perceel

V3UAlfzrJZ1 Ckx121Upgrade naar KadastraleKaart Pro

Hoogteligging

LqZha0u ZnquC6 FUpgrade naar KadastraleKaart Pro

Laatst gewijzigd

15/05/2002

Kadastrale kaart met maatvoering 59,95
Kadastrale kaart pakket 28,95

Percelen

Gebruik de zoekbalk of klik op een perceel om informatie over het perceel te bekijken.
Locatie
Meten
Lagen
Download