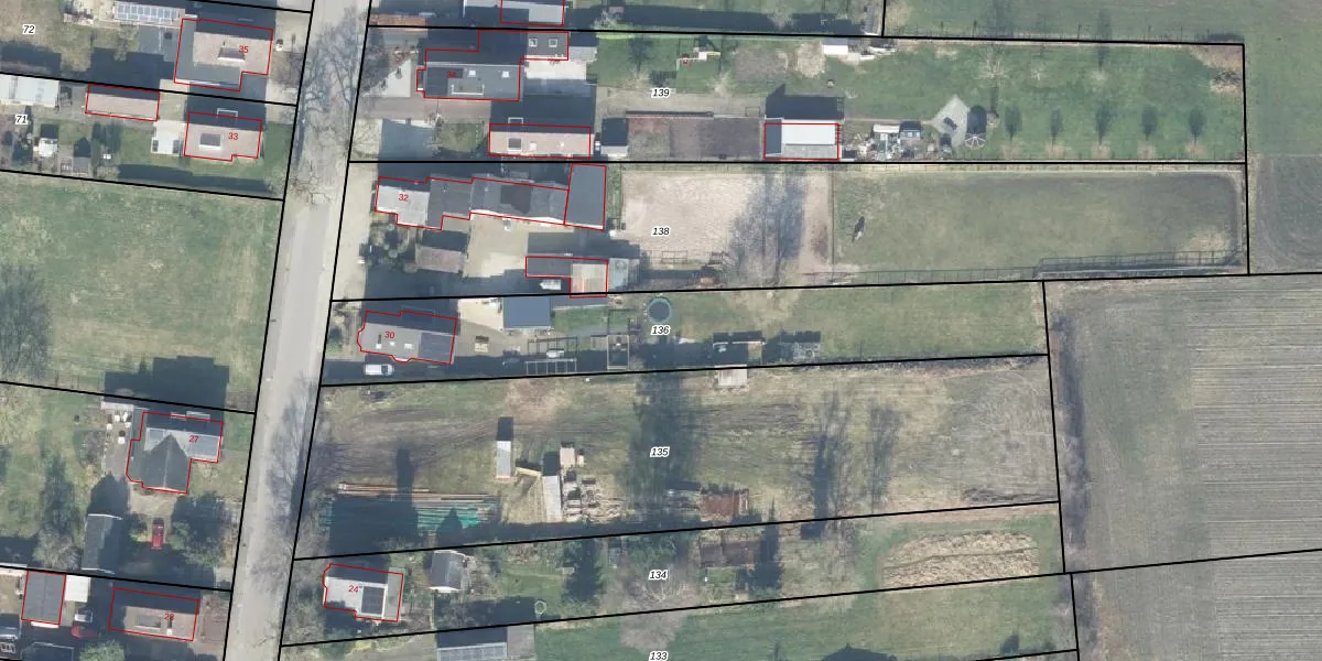
Perceel: APD01-AB-136

Adres bij perceel

Perceeloppervlakte & perceelomtrek

1.310 m2 - 242 m

Eigenaar van het perceel

Eigenaar opvragen

Kadastrale aanduiding

APD01-AB-136 (Apeldoorn)

Postcode in perceel

    7345 BH

Type eigenaar

lmWIcsofumNJ6pcMs0 cUpgrade naar KadastraleKaart Pro

Woning verkocht in 2014

Verkoopprijs opvragen

Google Street View

Bekijk op Street View

Download

Download DWG/DXF/Excel

Gerelateerde percelen

mwyvmdgDtLJ7Upgrade naar KadastraleKaart Pro

Bebouwd/onbebouwd/water/groen

5qILTX1Evokx94zFlwqCMRUpgrade naar KadastraleKaart Pro
Administratieve eenheden
3YhRavuPEplPXn2SDTMzUpgrade naar KadastraleKaart Pro

Appartementsrechten

VIAKZyFTUpgrade naar KadastraleKaart Pro

Vergunningverlenende instanties

kORKhMnZQUpgrade naar KadastraleKaart Pro

Bedekking (BGT)

6qtjXJgF7RMrZQ4gkOP ZtUpgrade naar KadastraleKaart Pro

Publiekrechtelijke beperkingen

BsShhm1s vWXZsOwEX9B hUpgrade naar KadastraleKaart Pro

Grensnauwkeurigheid

N C OSfG4b7qbyzEbn Upgrade naar KadastraleKaart Pro

Coördinaten hoekpunten perceel

Z81PHctTeUpgrade naar KadastraleKaart Pro

Hoogteligging

Q6bq4 Bc0XfqAinRzOtUpgrade naar KadastraleKaart Pro

Laatst gewijzigd

19/11/1998

Kadastrale kaart met maatvoering 59,95
Kadastrale kaart pakket 28,95

Percelen

Gebruik de zoekbalk of klik op een perceel om informatie over het perceel te bekijken.
Locatie
Meten
Lagen
Download