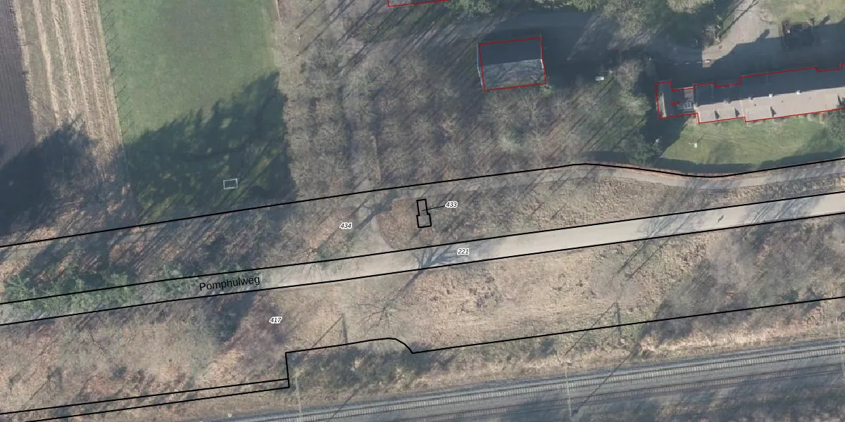
Perceel: APD01-P-433

Adres bij perceel

Geen adressen bij dit perceel

Perceeloppervlakte & perceelomtrek

16 m2 - 19 m

Eigenaar van het perceel

Eigenaar opvragen

Kadastrale aanduiding

APD01-P-433 (Apeldoorn)

Postcode in perceel

    Geen postcode aanwezig

Type eigenaar

4TvHZ9GFXkjN2o auom0I3bUpgrade naar KadastraleKaart Pro

Google Street View

Bekijk op Street View

Download

Download DWG/DXF/Excel

Gerelateerde percelen

9GL5Kmn8vmqQnOUpgrade naar KadastraleKaart Pro

Bebouwd/onbebouwd/water/groen

D3WpQwQ trRFUpgrade naar KadastraleKaart Pro
Administratieve eenheden
TYac6JLC8SmUKpMuu5 Upgrade naar KadastraleKaart Pro

Appartementsrechten

jW73TzvnaCM q0eDUpgrade naar KadastraleKaart Pro

Vergunningverlenende instanties

I4Zqv5mvRojOX3xgK uxZUpgrade naar KadastraleKaart Pro

Bedekking (BGT)

16MnJEi7OMf9zsijYV7mVUpgrade naar KadastraleKaart Pro

Publiekrechtelijke beperkingen

ItM HbJKs9Upgrade naar KadastraleKaart Pro

Grensnauwkeurigheid

jg56aIaX Upgrade naar KadastraleKaart Pro

Coördinaten hoekpunten perceel

OKXs320IJFATGiEnQZnzUpgrade naar KadastraleKaart Pro

Hoogteligging

YKsROYo7VbPR YUpgrade naar KadastraleKaart Pro

Laatst gewijzigd

28/12/2011

Kadastrale kaart met maatvoering 59,95
Kadastrale kaart pakket 28,95

Percelen

Gebruik de zoekbalk of klik op een perceel om informatie over het perceel te bekijken.
Locatie
Meten
Lagen
Download