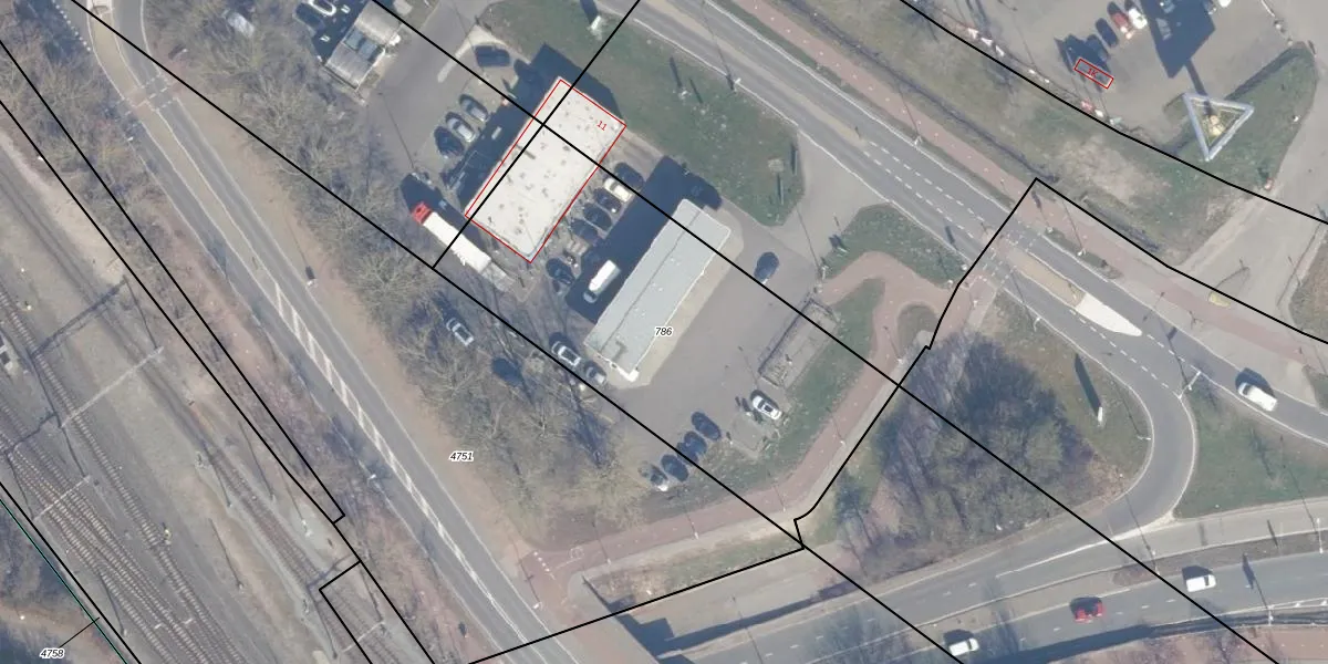
Perceel: ASD29-AI-786

Adres bij perceel

Geen adressen bij dit perceel

Perceeloppervlakte & perceelomtrek

1.875 m2 - 193 m

Eigenaar van het perceel

Eigenaar opvragen

Kadastrale aanduiding

ASD29-AI-786 (Amsterdam)

Postcode in perceel

    Geen postcode aanwezig

Type eigenaar

nYXF37s39EWIMm1xxxocarZ7q3TAVjUpgrade naar KadastraleKaart Pro

Google Street View

Bekijk op Street View

Download

Download DWG/DXF/Excel

Gerelateerde percelen

YxwF86pA iDUpgrade naar KadastraleKaart Pro

Bebouwd/onbebouwd/water/groen

3HTA3fYdUpgrade naar KadastraleKaart Pro
Administratieve eenheden
p4EzlDwYBm ph05Upgrade naar KadastraleKaart Pro

Appartementsrechten

w7XLwsU xZKnsDvqx1x BkUpgrade naar KadastraleKaart Pro

Vergunningverlenende instanties

n8 ILD 3ijEoyQBUpgrade naar KadastraleKaart Pro

Bedekking (BGT)

qiyoJ9maUpgrade naar KadastraleKaart Pro

Publiekrechtelijke beperkingen

r RZINBaixHp GUpgrade naar KadastraleKaart Pro

Grensnauwkeurigheid

n8JdH QSfjUpgrade naar KadastraleKaart Pro

Coördinaten hoekpunten perceel

AVYOUCZ5U JfrUpgrade naar KadastraleKaart Pro

Hoogteligging

ep P2iXjWeUpgrade naar KadastraleKaart Pro

Laatst gewijzigd

22/12/2017

Kadastrale kaart met maatvoering 59,95
Kadastrale kaart pakket 28,95

Percelen

Gebruik de zoekbalk of klik op een perceel om informatie over het perceel te bekijken.
Locatie
Meten
Lagen
Download