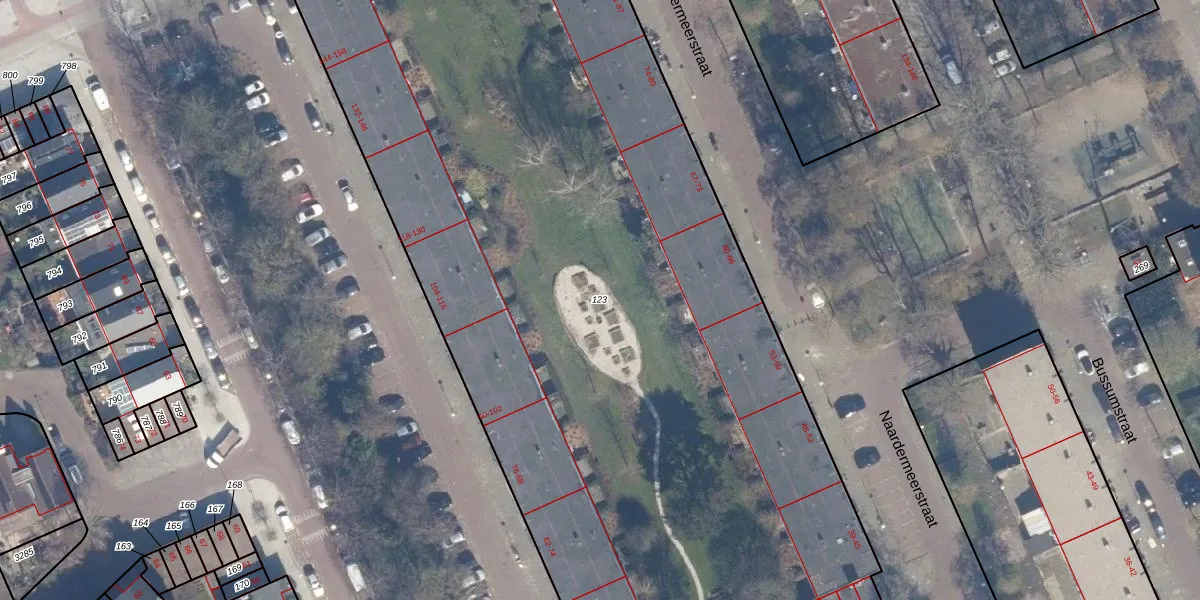
Perceel: ASD31-AL-123

126 adressen bij perceel

Naardermeerstraat 25 t/m 94
Werengouw 48 t/m 158

Perceeloppervlakte & perceelomtrek

6.936 m2 - 375 m

Eigenaar van het perceel

Eigenaar opvragen

Kadastrale aanduiding

ASD31-AL-123 (Amsterdam)

Postcodes in perceel

    1024 NH -1024 NJ -1024 NK -1024 PC -1024 PD -1024 PE

Type eigenaar

dBTOhbYW0eBI1bznWlGUpgrade naar KadastraleKaart Pro

Google Street View

Bekijk op Street View

Download

Download DWG/DXF/Excel

Gerelateerde percelen

TaBZVtMPonnqPHfA0 mE7OOUpgrade naar KadastraleKaart Pro

Bebouwd/onbebouwd/water/groen

Z13ERS4waUpgrade naar KadastraleKaart Pro
Administratieve eenheden
swdYmHoHEfi1Upgrade naar KadastraleKaart Pro

Appartementsrechten

i57 tx W3wUpgrade naar KadastraleKaart Pro

Vergunningverlenende instanties

4 PCngMuDwTBNUpgrade naar KadastraleKaart Pro

Bedekking (BGT)

Lm0qUuvL3 yGopUpgrade naar KadastraleKaart Pro

Publiekrechtelijke beperkingen

9Qn wBGdQATvuHST3AK Upgrade naar KadastraleKaart Pro

Grensnauwkeurigheid

77Usz2PYr5AS cZUUpgrade naar KadastraleKaart Pro

Coördinaten hoekpunten perceel

a 9cD4c2oa8 5tUpgrade naar KadastraleKaart Pro

Hoogteligging

8 koAOt9q7kAntGga3Hs6y2Upgrade naar KadastraleKaart Pro

Laatst gewijzigd

30/05/2011

Kadastrale kaart met maatvoering 59,95
Kadastrale kaart pakket 28,95

Percelen

Gebruik de zoekbalk of klik op een perceel om informatie over het perceel te bekijken.
Locatie
Meten
Lagen
Download