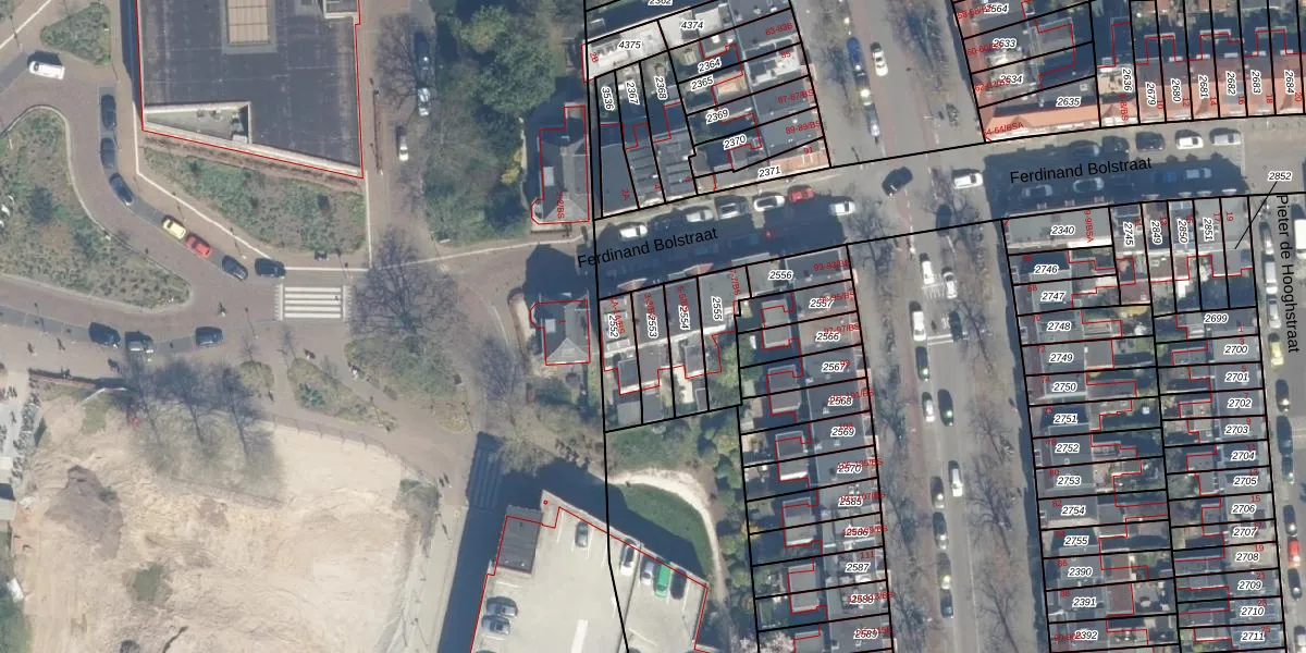
Perceel: ASD40-D-2553

2 adressen bij perceel

Ferdinand Bolstraat 3 t/m 3-BS

Perceeloppervlakte & perceelomtrek

104 m2 - 51 m

Eigenaar van het perceel

Eigenaar opvragen

Kadastrale aanduiding

ASD40-D-2553 (Abstede)

Postcode in perceel

    3583 AN

Type eigenaar

XOzQ Y46ukv7p4dwRSlnHbtp1FB BeUpgrade naar KadastraleKaart Pro

Woning verkocht in 2006

Verkoopprijs opvragen

Google Street View

Bekijk op Street View

Download

Download DWG/DXF/Excel

Gerelateerde percelen

xy7ulKm iO5HavUpgrade naar KadastraleKaart Pro

Bebouwd/onbebouwd/water/groen

UpMiWSBaSSN9xn tSUpgrade naar KadastraleKaart Pro
Administratieve eenheden
NWuAcMg R1JN9KcqUpgrade naar KadastraleKaart Pro

Appartementsrechten

8zO06I 7 XhK8cR2CpBUpgrade naar KadastraleKaart Pro

Vergunningverlenende instanties

bsZifzuP MCkZBH0PUpgrade naar KadastraleKaart Pro

Bedekking (BGT)

B9DWz3Azck2U02wUpgrade naar KadastraleKaart Pro

Publiekrechtelijke beperkingen

fJE kbc iZbinNgJWuZhVFUpgrade naar KadastraleKaart Pro

Grensnauwkeurigheid

SU4x7igD1tvmxRBMCTcUpgrade naar KadastraleKaart Pro

Coördinaten hoekpunten perceel

zKaPZ31GxXmW qViUpgrade naar KadastraleKaart Pro

Hoogteligging

7oflNfcm0MK rtlqAYIdUpgrade naar KadastraleKaart Pro

Laatst gewijzigd

19/09/1997

Kadastrale kaart met maatvoering 59,95
Kadastrale kaart pakket 28,95

Percelen

Gebruik de zoekbalk of klik op een perceel om informatie over het perceel te bekijken.
Locatie
Meten
Lagen
Download