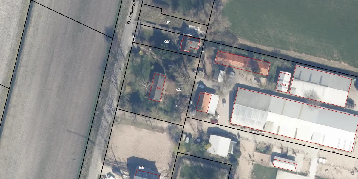
Perceel: ASV00-N-583

Adres bij perceel

Perceeloppervlakte & perceelomtrek

1.503 m2 - 155 m

Eigenaar van het perceel

Eigenaar opvragen

Kadastrale aanduiding

ASV00-N-583 (Amstelveen)

Postcode in perceel

    1188 XJ

Type eigenaar

xxgn27UEqxBqz7MGjKvqteFN21Upgrade naar KadastraleKaart Pro

Google Street View

Bekijk op Street View

Download

Download DWG/DXF/Excel

Gerelateerde percelen

XR7kCgEjtQU JZUpgrade naar KadastraleKaart Pro

Bebouwd/onbebouwd/water/groen

UuBb2zfPY25ewfBnATXclUpgrade naar KadastraleKaart Pro
Administratieve eenheden
mV14P2 gpahslxUpgrade naar KadastraleKaart Pro

Appartementsrechten

YX0Sp5AVRLOde6Upgrade naar KadastraleKaart Pro

Vergunningverlenende instanties

7NERd oMhIUpgrade naar KadastraleKaart Pro

Bedekking (BGT)

uyXlBfdb YUpgrade naar KadastraleKaart Pro

Publiekrechtelijke beperkingen

QmUHgvUopZ460pEXUpgrade naar KadastraleKaart Pro

Grensnauwkeurigheid

LCZrnbJfljmHdJVnDNXJyBUpgrade naar KadastraleKaart Pro

Coördinaten hoekpunten perceel

Sks7bDJ1p8T AUBK4Upgrade naar KadastraleKaart Pro

Hoogteligging

pgKMKnXbwbbd5qVpLVFNUpgrade naar KadastraleKaart Pro

Laatst gewijzigd

19/04/2001

Kadastrale kaart met maatvoering 59,95
Kadastrale kaart pakket 28,95

Percelen

Gebruik de zoekbalk of klik op een perceel om informatie over het perceel te bekijken.
Locatie
Meten
Lagen
Download