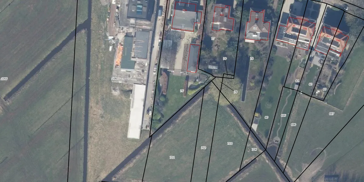
Perceel: ASV00-W-75

Adres bij perceel

Perceeloppervlakte & perceelomtrek

1.649 m2 - 213 m

Eigenaar van het perceel

Eigenaar opvragen

Kadastrale aanduiding

ASV00-W-75 (Amstelveen)

Postcode in perceel

    1183 TK

Type eigenaar

Xg ttkM5NmLqFpj vUpgrade naar KadastraleKaart Pro

Google Street View

Bekijk op Street View

Download

Download DWG/DXF/Excel

Gerelateerde percelen

9sNgF EvmjMM jBFUpgrade naar KadastraleKaart Pro

Bebouwd/onbebouwd/water/groen

RNeLwp wsj9Sg JrWyZw1 Upgrade naar KadastraleKaart Pro
Administratieve eenheden
6xcewVIOq ughsthUpgrade naar KadastraleKaart Pro

Appartementsrechten

lzLTfgv 0KUpgrade naar KadastraleKaart Pro

Vergunningverlenende instanties

laKMoBvf2KW2WEUpgrade naar KadastraleKaart Pro

Bedekking (BGT)

S3VrWU maHQGBUpgrade naar KadastraleKaart Pro

Publiekrechtelijke beperkingen

GzGUHF9ssY tsNSAbjV6Upgrade naar KadastraleKaart Pro

Grensnauwkeurigheid

D KJdpZ07AK u c N 5Upgrade naar KadastraleKaart Pro

Coördinaten hoekpunten perceel

TiCDdSEFGe3hfhgz3iSzUpgrade naar KadastraleKaart Pro

Hoogteligging

RLrqKAV Upgrade naar KadastraleKaart Pro

Laatst gewijzigd

03/09/2009

Kadastrale kaart met maatvoering 59,95
Kadastrale kaart pakket 28,95

Percelen

Gebruik de zoekbalk of klik op een perceel om informatie over het perceel te bekijken.
Locatie
Meten
Lagen
Download