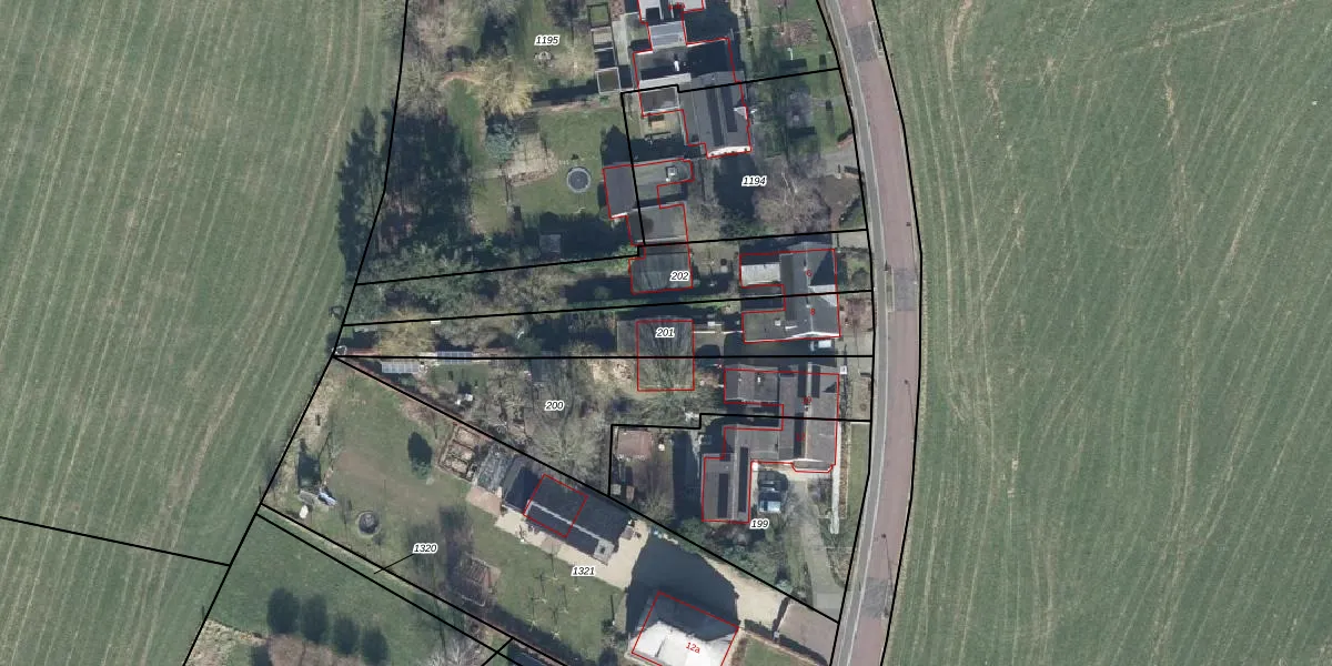
Perceel: BER02-K-201

Adres bij perceel

Perceeloppervlakte & perceelomtrek

595 m2 - 176 m

Eigenaar van het perceel

Eigenaar opvragen

Kadastrale aanduiding

BER02-K-201 (Bergh)

Postcode in perceel

    7037 CL

Type eigenaar

uvsCotid5MqQEEY Upgrade naar KadastraleKaart Pro

Google Street View

Bekijk op Street View

Download

Download DWG/DXF/Excel

Gerelateerde percelen

Ig0P 8 6Y Upgrade naar KadastraleKaart Pro

Bebouwd/onbebouwd/water/groen

ONUuiSaVCjht auapzkUpgrade naar KadastraleKaart Pro
Administratieve eenheden
Gg4uF LHRCHmUpgrade naar KadastraleKaart Pro

Appartementsrechten

8yzz MZmMUpgrade naar KadastraleKaart Pro

Vergunningverlenende instanties

xwAA oK1pIUpgrade naar KadastraleKaart Pro

Bedekking (BGT)

cTEimVJT r2aU ljoUpgrade naar KadastraleKaart Pro

Publiekrechtelijke beperkingen

F2Q22poWHuaC673xsMUpgrade naar KadastraleKaart Pro

Grensnauwkeurigheid

vU 7SCB9GDyY Upgrade naar KadastraleKaart Pro

Coördinaten hoekpunten perceel

LjQcytClOwcmwYUpgrade naar KadastraleKaart Pro

Hoogteligging

HfKnwHnVUpgrade naar KadastraleKaart Pro

Laatst gewijzigd

03/12/1999

Kadastrale kaart met maatvoering 59,95
Kadastrale kaart pakket 28,95

Percelen

Gebruik de zoekbalk of klik op een perceel om informatie over het perceel te bekijken.
Locatie
Meten
Lagen
Download