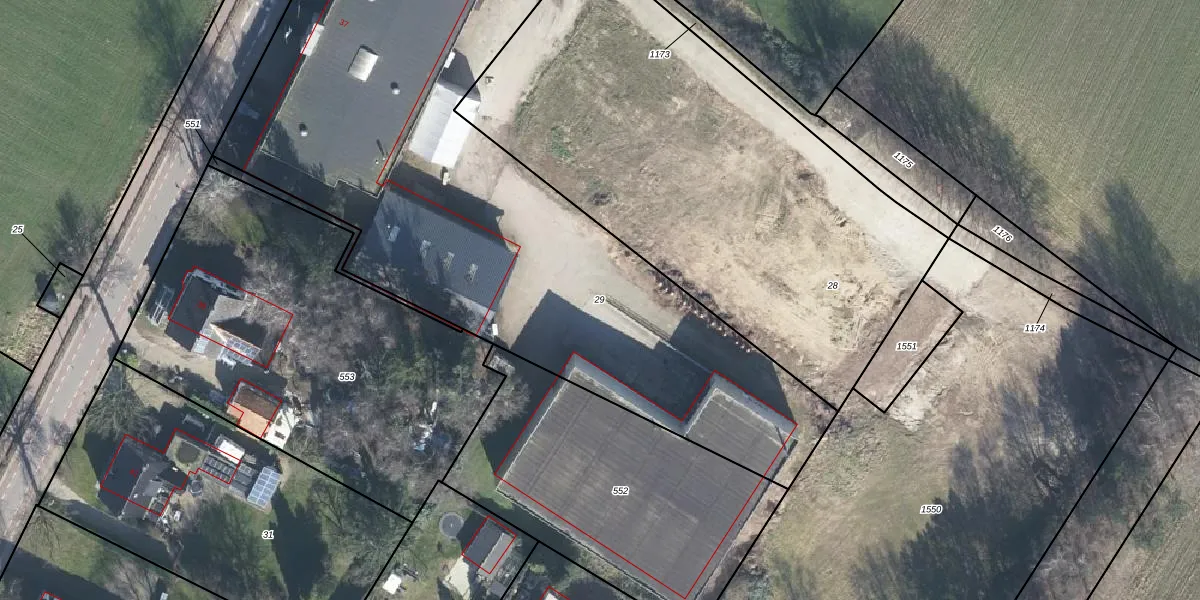
Perceel: BER02-K-29

Adres bij perceel

Perceeloppervlakte & perceelomtrek

3.870 m2 - 349 m

Eigenaar van het perceel

Eigenaar opvragen

Kadastrale aanduiding

BER02-K-29 (Bergh)

Postcode in perceel

    7037 CB

Type eigenaar

y6tT g LXfNNypVu8h0hfob1Upgrade naar KadastraleKaart Pro

Google Street View

Bekijk op Street View

Download

Download DWG/DXF/Excel

Gerelateerde percelen

WVpMZTdejC H jMwWo8Upgrade naar KadastraleKaart Pro

Bebouwd/onbebouwd/water/groen

sTgxiq19FcV8MAKlQUpgrade naar KadastraleKaart Pro
Administratieve eenheden
Ph2 yEjXADYVKjS1bjw Upgrade naar KadastraleKaart Pro

Appartementsrechten

8bPtumjGUpgrade naar KadastraleKaart Pro

Vergunningverlenende instanties

AbwwaJxDodTHBtc7cUpgrade naar KadastraleKaart Pro

Bedekking (BGT)

h9vt62Wqd ol6vudfN 1Upgrade naar KadastraleKaart Pro

Publiekrechtelijke beperkingen

rk7rPstaSUpgrade naar KadastraleKaart Pro

Grensnauwkeurigheid

qMVsbWZuUpgrade naar KadastraleKaart Pro

Coördinaten hoekpunten perceel

428QxY Sgtc1GPG5VB Upgrade naar KadastraleKaart Pro

Hoogteligging

V vu mxKVAvcpcUpgrade naar KadastraleKaart Pro

Laatst gewijzigd

24/08/2009

Kadastrale kaart met maatvoering 59,95
Kadastrale kaart pakket 28,95

Percelen

Gebruik de zoekbalk of klik op een perceel om informatie over het perceel te bekijken.
Locatie
Meten
Lagen
Download