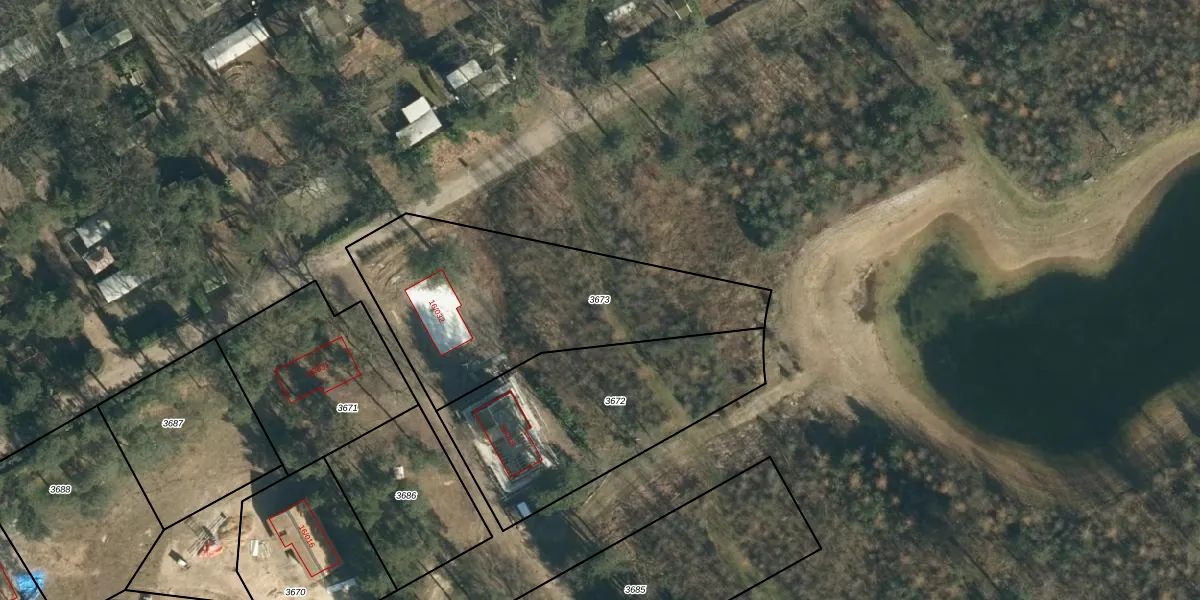
Perceel: BLE01-B-3673

Adres bij perceel

Perceeloppervlakte & perceelomtrek

1.175 m2 - 169 m

Eigenaar van het perceel

Eigenaar opvragen

Kadastrale aanduiding

BLE01-B-3673 (Baarle-Nassau)

Postcode in perceel

    5111 GC

Type eigenaar

h9eLAJSvD mR 1RkWvewXxcO8T mfn0Upgrade naar KadastraleKaart Pro

Google Street View

Bekijk op Street View

Download

Download DWG/DXF/Excel

Gerelateerde percelen

qxjRrt4ykip0o9cpcUpgrade naar KadastraleKaart Pro

Bebouwd/onbebouwd/water/groen

lmkTp5QRkUpgrade naar KadastraleKaart Pro
Administratieve eenheden
LELD8Fc3B3Upgrade naar KadastraleKaart Pro

Appartementsrechten

NkYZ4tYZ6P GohAha7 o Upgrade naar KadastraleKaart Pro

Vergunningverlenende instanties

Fv L98Fs x2Mh2 Upgrade naar KadastraleKaart Pro

Bedekking (BGT)

zUoItRLbscIA7Upgrade naar KadastraleKaart Pro

Publiekrechtelijke beperkingen

mFFvtSRct9kEefqvzUpgrade naar KadastraleKaart Pro

Grensnauwkeurigheid

Bw4fCWtN8wUpgrade naar KadastraleKaart Pro

Coördinaten hoekpunten perceel

cCwrrIuX4 lUpgrade naar KadastraleKaart Pro

Hoogteligging

wvX4Kd9b y4reATUFhAcUpgrade naar KadastraleKaart Pro

Laatst gewijzigd

20/10/2025

Kadastrale kaart met maatvoering 59,95
Kadastrale kaart pakket 28,95

Percelen

Gebruik de zoekbalk of klik op een perceel om informatie over het perceel te bekijken.
Locatie
Meten
Lagen
Download