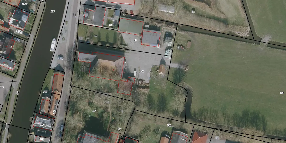
Perceel: BWD02-C-48

Adres bij perceel

Perceeloppervlakte & perceelomtrek

2.755 m2 - 240 m

Eigenaar van het perceel

Eigenaar opvragen

Kadastrale aanduiding

BWD02-C-48 (Burgwerd)

Postcode in perceel

    8742 KR

Type eigenaar

wM6dEjAL5evveBk4y6xhCO5cdUpgrade naar KadastraleKaart Pro

Google Street View

Bekijk op Street View

Download

Download DWG/DXF/Excel

Gerelateerde percelen

ocjEryDMLYriACAUpgrade naar KadastraleKaart Pro

Bebouwd/onbebouwd/water/groen

0l6GK7wwVqGpD bhna1Upgrade naar KadastraleKaart Pro
Administratieve eenheden
KPLA djgIUpgrade naar KadastraleKaart Pro

Appartementsrechten

UEZDT4Vpk6X IjXwS5bUpgrade naar KadastraleKaart Pro

Vergunningverlenende instanties

96 5U 5lr8FDhLUpgrade naar KadastraleKaart Pro

Bedekking (BGT)

EdoE4ThC9SmQ VNUpgrade naar KadastraleKaart Pro

Publiekrechtelijke beperkingen

yLNai1CByx0Upgrade naar KadastraleKaart Pro

Grensnauwkeurigheid

s9BwTFnegxlUpgrade naar KadastraleKaart Pro

Coördinaten hoekpunten perceel

IMrnXUmFTmlLv0mW9 zkJNUpgrade naar KadastraleKaart Pro

Hoogteligging

yxOnW4d11 PWXUpgrade naar KadastraleKaart Pro

Laatst gewijzigd

19/01/2011

Kadastrale kaart met maatvoering 59,95
Kadastrale kaart pakket 28,95

Percelen

Gebruik de zoekbalk of klik op een perceel om informatie over het perceel te bekijken.
Locatie
Meten
Lagen
Download