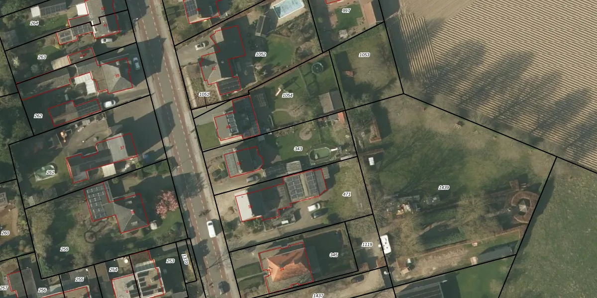
Perceel: BXM00-E-343

Adres bij perceel

Perceeloppervlakte & perceelomtrek

775 m2 - 131 m

Eigenaar van het perceel

Eigenaar opvragen

Kadastrale aanduiding

BXM00-E-343 (Baexem)

Postcode in perceel

    6095 AH

Type eigenaar

32lNjoT3rVAmgtS0Gxa1z7SGozv s6HUpgrade naar KadastraleKaart Pro

Woning verkocht in 2000

Verkoopprijs opvragen

Google Street View

Bekijk op Street View

Download

Download DWG/DXF/Excel

Gerelateerde percelen

17daDeZPk7uR1fUpgrade naar KadastraleKaart Pro

Bebouwd/onbebouwd/water/groen

O6mAS8 LksNcUpgrade naar KadastraleKaart Pro
Administratieve eenheden
lSLZpt piZN TZS2Upgrade naar KadastraleKaart Pro

Appartementsrechten

8NJ4IsQm1JqX94BQyUpgrade naar KadastraleKaart Pro

Vergunningverlenende instanties

6K mMwD08RwnUpUpgrade naar KadastraleKaart Pro

Bedekking (BGT)

LuMQcJZcf3bUpgrade naar KadastraleKaart Pro

Publiekrechtelijke beperkingen

0J Ea1 gB536Upgrade naar KadastraleKaart Pro

Grensnauwkeurigheid

Qv3p08FgRx0JT7fQUpgrade naar KadastraleKaart Pro

Coördinaten hoekpunten perceel

0PLh6n0 ug 9Pgh Upgrade naar KadastraleKaart Pro

Hoogteligging

XsJwV Mv6soUpgrade naar KadastraleKaart Pro

Laatst gewijzigd

03/02/2009

Kadastrale kaart met maatvoering 59,95
Kadastrale kaart pakket 28,95

Percelen

Gebruik de zoekbalk of klik op een perceel om informatie over het perceel te bekijken.
Locatie
Meten
Lagen
Download