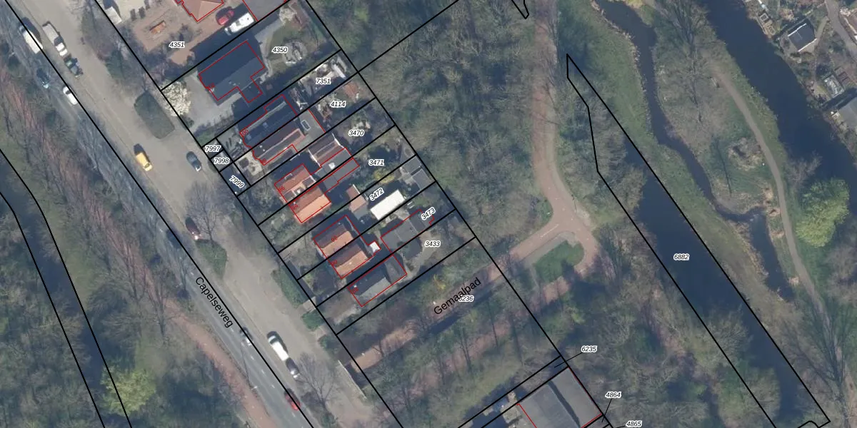
Perceel: CPL01-A-3473

Adres bij perceel

Perceeloppervlakte & perceelomtrek

309 m2 - 96 m

Eigenaar van het perceel

Eigenaar opvragen

Kadastrale aanduiding

CPL01-A-3473 (Capelle aan den IJssel)

Postcode in perceel

    2907 XC

Type eigenaar

j5eIG0N4umXvtOAvVOeijBI wTUYC EUpgrade naar KadastraleKaart Pro

Google Street View

Bekijk op Street View

Download

Download DWG/DXF/Excel

Gerelateerde percelen

3NyJ j1waWBUpgrade naar KadastraleKaart Pro

Bebouwd/onbebouwd/water/groen

F3MyRq9 OU2VcNyi Upgrade naar KadastraleKaart Pro
Administratieve eenheden
4lXhfkMsX2tOkUpgrade naar KadastraleKaart Pro

Appartementsrechten

7 d99T6hm28FchAWn eXUpgrade naar KadastraleKaart Pro

Vergunningverlenende instanties

3sFnoqEwBmE rgw6AUpgrade naar KadastraleKaart Pro

Bedekking (BGT)

QbDUkL7 cVnW4sOUpgrade naar KadastraleKaart Pro

Publiekrechtelijke beperkingen

VcGzc LpytB ptUpgrade naar KadastraleKaart Pro

Grensnauwkeurigheid

qyUgP0vWSHAUpgrade naar KadastraleKaart Pro

Coördinaten hoekpunten perceel

6oCLZf wVykxjYxAGbzUpgrade naar KadastraleKaart Pro

Hoogteligging

riobU8loH51sXd1GGvFUpgrade naar KadastraleKaart Pro

Laatst gewijzigd

26/09/2007

Kadastrale kaart met maatvoering 59,95
Kadastrale kaart pakket 28,95

Percelen

Gebruik de zoekbalk of klik op een perceel om informatie over het perceel te bekijken.
Locatie
Meten
Lagen
Download