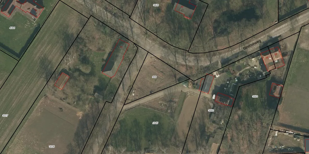
Perceel: CUI00-L-968

Adres bij perceel

Geen adressen bij dit perceel

Perceeloppervlakte & perceelomtrek

620 m2 - 116 m

Eigenaar van het perceel

Eigenaar opvragen

Kadastrale aanduiding

CUI00-L-968 (Cuijk)

Postcode in perceel

    Geen postcode aanwezig

Type eigenaar

x20qS wHtoPd ZwlvxGwUpGilUpgrade naar KadastraleKaart Pro

Google Street View

Bekijk op Street View

Download

Download DWG/DXF/Excel

Gerelateerde percelen

RNPZLO A3E GUnq 48ipjUpgrade naar KadastraleKaart Pro

Bebouwd/onbebouwd/water/groen

6NilA3TR97IvJD18oBUpgrade naar KadastraleKaart Pro
Administratieve eenheden
l3EaD n7eDh7G3SXUpgrade naar KadastraleKaart Pro

Appartementsrechten

5q5FHf UUpgrade naar KadastraleKaart Pro

Vergunningverlenende instanties

sxSKk E gY Upgrade naar KadastraleKaart Pro

Bedekking (BGT)

zpAe7EYeWTqIhdYOiLlmrUpgrade naar KadastraleKaart Pro

Publiekrechtelijke beperkingen

4eKtrWqzRUpgrade naar KadastraleKaart Pro

Grensnauwkeurigheid

zVbh v 2Upgrade naar KadastraleKaart Pro

Coördinaten hoekpunten perceel

aKK6fRB6QzwtwUpgrade naar KadastraleKaart Pro

Hoogteligging

uLWRqhn95WHNPnrBzJ9Upgrade naar KadastraleKaart Pro

Laatst gewijzigd

30/06/2005

Kadastrale kaart met maatvoering 59,95
Kadastrale kaart pakket 28,95

Percelen

Gebruik de zoekbalk of klik op een perceel om informatie over het perceel te bekijken.
Locatie
Meten
Lagen
Download