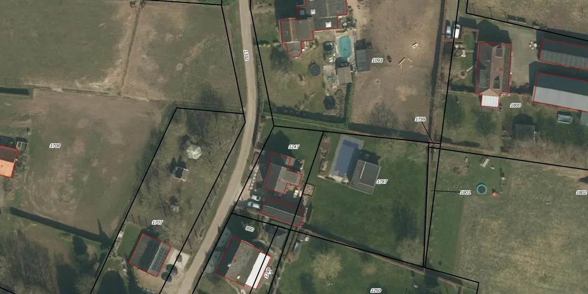
Perceel: CUI00-Q-1247

Adres bij perceel

Perceeloppervlakte & perceelomtrek

660 m2 - 106 m

Eigenaar van het perceel

Eigenaar opvragen

Kadastrale aanduiding

CUI00-Q-1247 (Cuijk)

Postcode in perceel

    5437 PH

Type eigenaar

Jpig6i6vP eRIqiLvsZFIpo6QNppUpgrade naar KadastraleKaart Pro

Google Street View

Bekijk op Street View

Download

Download DWG/DXF/Excel

Gerelateerde percelen

wEorkAc6iUpgrade naar KadastraleKaart Pro

Bebouwd/onbebouwd/water/groen

1Q144fISUpgrade naar KadastraleKaart Pro
Administratieve eenheden
4MwcuWAzoYhPSmIK7 JUpgrade naar KadastraleKaart Pro

Appartementsrechten

f QBskSAZQkh8 Upgrade naar KadastraleKaart Pro

Vergunningverlenende instanties

apbb AuLLUpgrade naar KadastraleKaart Pro

Bedekking (BGT)

g3 gV5coXqaiWL0H cDxH8IUpgrade naar KadastraleKaart Pro

Publiekrechtelijke beperkingen

CalaaqkGsvupwGkmFk30Upgrade naar KadastraleKaart Pro

Grensnauwkeurigheid

98q3d UiN2nHCIvJUpgrade naar KadastraleKaart Pro

Coördinaten hoekpunten perceel

aQduRtoCv0XGlaV 0ctUpgrade naar KadastraleKaart Pro

Hoogteligging

M0ms UON m0LG5Upgrade naar KadastraleKaart Pro

Laatst gewijzigd

04/11/2008

Kadastrale kaart met maatvoering 59,95
Kadastrale kaart pakket 28,95

Percelen

Gebruik de zoekbalk of klik op een perceel om informatie over het perceel te bekijken.
Locatie
Meten
Lagen
Download