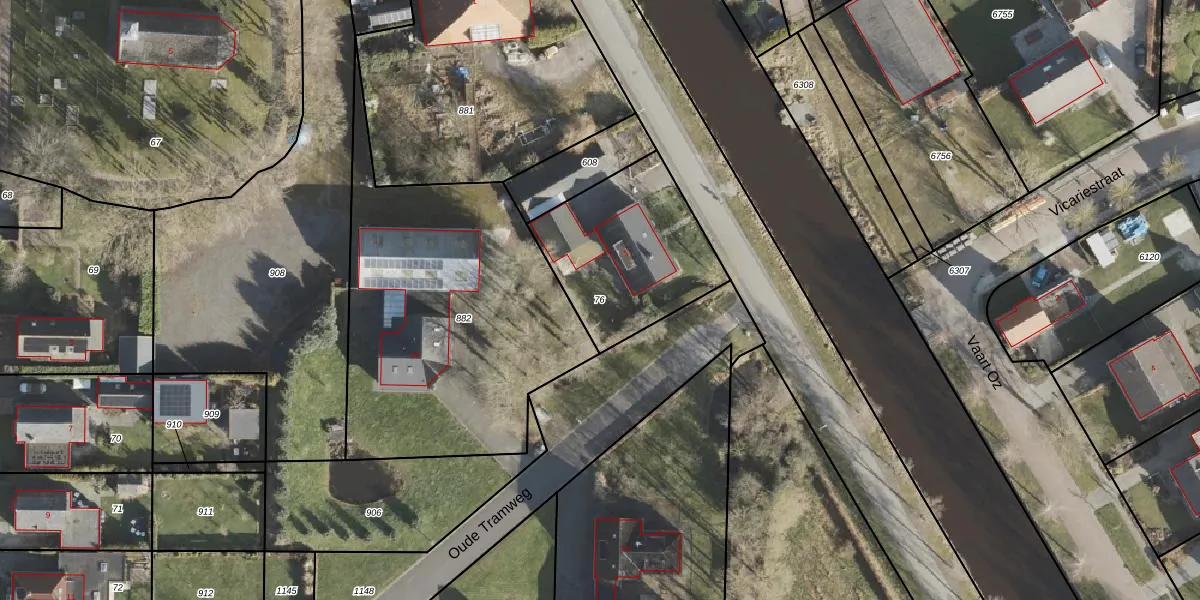
Perceel: DKB00-E-76

Adres bij perceel

Perceeloppervlakte & perceelomtrek

620 m2 - 100 m

Eigenaar van het perceel

Eigenaar opvragen

Kadastrale aanduiding

DKB00-E-76 (Donkerbroek)

Postcode in perceel

    8435 WE

Type eigenaar

NI0RB W 0p U8oUUpgrade naar KadastraleKaart Pro

Woning verkocht in 2017

Verkoopprijs opvragen

Google Street View

Bekijk op Street View

Download

Download DWG/DXF/Excel

Gerelateerde percelen

2SZukYtHDvY0g7frUpgrade naar KadastraleKaart Pro

Bebouwd/onbebouwd/water/groen

b3VgRxrwUpgrade naar KadastraleKaart Pro
Administratieve eenheden
WcQriWuQkKCMu6M0g30KUpgrade naar KadastraleKaart Pro

Appartementsrechten

mEV4sJ qMSMTjJjJ5Upgrade naar KadastraleKaart Pro

Vergunningverlenende instanties

G7wxNo HJqjSRUpgrade naar KadastraleKaart Pro

Bedekking (BGT)

uqvjeg4HvNHo3byon Upgrade naar KadastraleKaart Pro

Publiekrechtelijke beperkingen

kj5Nd1KrPkWUAp5K DUpgrade naar KadastraleKaart Pro

Grensnauwkeurigheid

sEEVZBj8INIp 3Upgrade naar KadastraleKaart Pro

Coördinaten hoekpunten perceel

Exma Pi2oCDxrZ3inUpgrade naar KadastraleKaart Pro

Hoogteligging

53N Cz 7bJQDNrOUpgrade naar KadastraleKaart Pro

Laatst gewijzigd

04/03/2011

Kadastrale kaart met maatvoering 59,95
Kadastrale kaart pakket 28,95

Percelen

Gebruik de zoekbalk of klik op een perceel om informatie over het perceel te bekijken.
Locatie
Meten
Lagen
Download