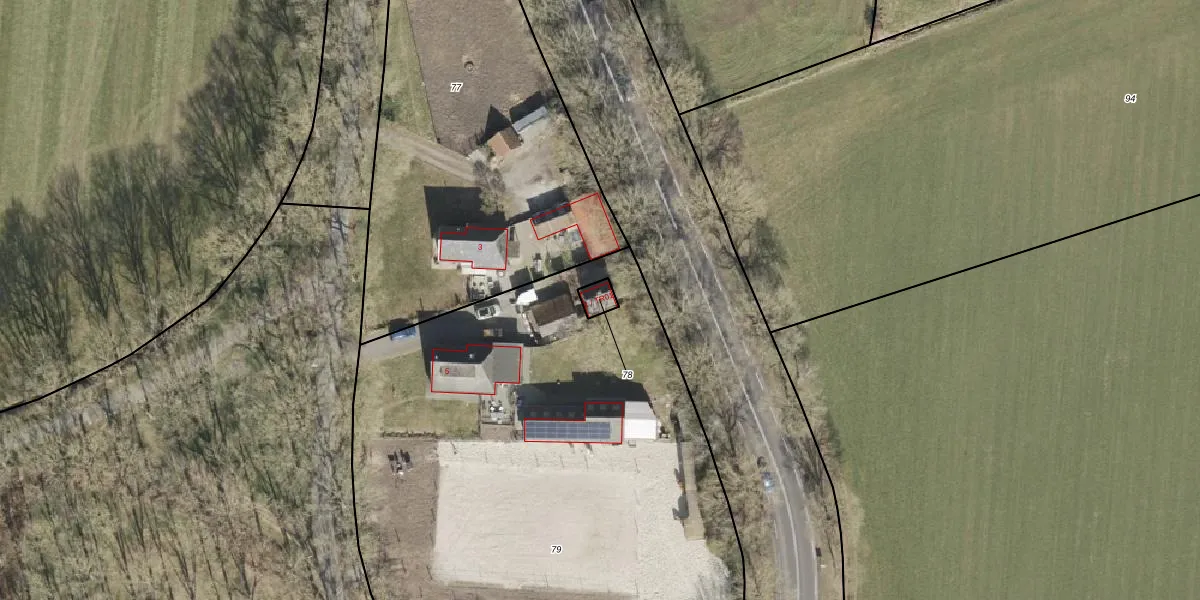
Perceel: DKB00-H-78

Adres bij perceel

Perceeloppervlakte & perceelomtrek

28 m2 - 21 m

Eigenaar van het perceel

Eigenaar opvragen

Kadastrale aanduiding

DKB00-H-78 (Donkerbroek)

Postcode in perceel

    8432 PJ

Type eigenaar

FkxbvGv7 Z D7iwYNuqzvsvEEF BtoUpgrade naar KadastraleKaart Pro

Google Street View

Bekijk op Street View

Download

Download DWG/DXF/Excel

Gerelateerde percelen

CVvQInZuPMRLFUpgrade naar KadastraleKaart Pro

Bebouwd/onbebouwd/water/groen

QYX46asj8Upgrade naar KadastraleKaart Pro
Administratieve eenheden
G54Qae2n56SipUpgrade naar KadastraleKaart Pro

Appartementsrechten

Mydng gLZjW yUQg8Upgrade naar KadastraleKaart Pro

Vergunningverlenende instanties

OCmKdJU7cGi9nF6xpA2 MKdUpgrade naar KadastraleKaart Pro

Bedekking (BGT)

AY 8tzZpME5LMH vpBmUpgrade naar KadastraleKaart Pro

Publiekrechtelijke beperkingen

A0nHgLSDXU728 4T2 CUpgrade naar KadastraleKaart Pro

Grensnauwkeurigheid

tbNJs9NjGBdB6YZ1r6Upgrade naar KadastraleKaart Pro

Coördinaten hoekpunten perceel

suY1VEV8ehXRt 9cWicUpgrade naar KadastraleKaart Pro

Hoogteligging

TUSgJMaz1LyHUpgrade naar KadastraleKaart Pro

Laatst gewijzigd

15/01/1998

Kadastrale kaart met maatvoering 59,95
Kadastrale kaart pakket 28,95

Percelen

Gebruik de zoekbalk of klik op een perceel om informatie over het perceel te bekijken.
Locatie
Meten
Lagen
Download