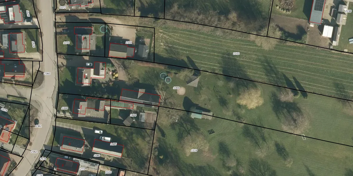
Perceel: DML02-G-1069

Adres bij perceel

Perceeloppervlakte & perceelomtrek

4.765 m2 - 439 m

Eigenaar van het perceel

Eigenaar opvragen

Kadastrale aanduiding

DML02-G-1069 (Dreumel)

Postcode in perceel

    6621 AR

Type eigenaar

rZyKpgQyPzQNwLcf JUpgrade naar KadastraleKaart Pro

Woning verkocht in 2006

Verkoopprijs opvragen

Google Street View

Bekijk op Street View

Download

Download DWG/DXF/Excel

Gerelateerde percelen

VRPeVeMMfUrqX9LK9fUpgrade naar KadastraleKaart Pro

Bebouwd/onbebouwd/water/groen

gZSkR6KG SOWnZUpgrade naar KadastraleKaart Pro
Administratieve eenheden
nSyoBmb4SZUpgrade naar KadastraleKaart Pro

Appartementsrechten

LhE58v8 Q0deMI Upgrade naar KadastraleKaart Pro

Vergunningverlenende instanties

H6UrOeXjdSqyEHWUpgrade naar KadastraleKaart Pro

Bedekking (BGT)

cDywE93DUpgrade naar KadastraleKaart Pro

Publiekrechtelijke beperkingen

1bZ3pXD1ihlXm Upgrade naar KadastraleKaart Pro

Grensnauwkeurigheid

jeLPapTgzyuTjZfggRgcUpgrade naar KadastraleKaart Pro

Coördinaten hoekpunten perceel

04zicoTafcUpgrade naar KadastraleKaart Pro

Hoogteligging

RSUJPY2 FHLEwOirUpgrade naar KadastraleKaart Pro

Laatst gewijzigd

01/12/2005

Kadastrale kaart met maatvoering 59,95
Kadastrale kaart pakket 28,95

Percelen

Gebruik de zoekbalk of klik op een perceel om informatie over het perceel te bekijken.
Locatie
Meten
Lagen
Download