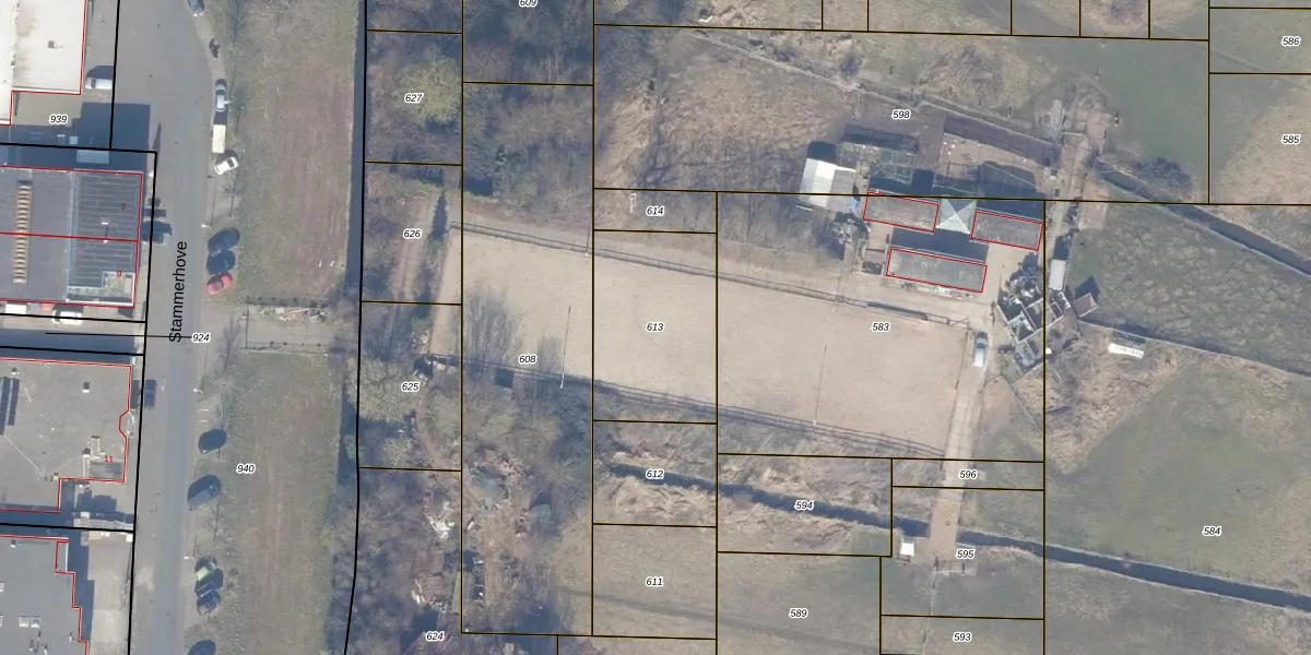
Perceel: DMN00-G-613

Adres bij perceel

Geen adressen bij dit perceel

Perceeloppervlakte & perceelomtrek

550 m2 - 96 m

Eigenaar van het perceel

Eigenaar opvragen

Kadastrale aanduiding

DMN00-G-613 (Diemen)

Postcode in perceel

    Geen postcode aanwezig

Type eigenaar

9Q UDXtvW8YfOhsaN7OW 3Upgrade naar KadastraleKaart Pro

Google Street View

Bekijk op Street View

Download

Download DWG/DXF/Excel

Gerelateerde percelen

Wf 7kE8wbI basUpgrade naar KadastraleKaart Pro

Bebouwd/onbebouwd/water/groen

612xVZjV6Ncf x Upgrade naar KadastraleKaart Pro
Administratieve eenheden
y7AY05zAEYFWiTbUpgrade naar KadastraleKaart Pro

Appartementsrechten

3EyZlWW2xUpgrade naar KadastraleKaart Pro

Vergunningverlenende instanties

GcCE MBNeUpgrade naar KadastraleKaart Pro

Bedekking (BGT)

g8EVeDjGLUpgrade naar KadastraleKaart Pro

Publiekrechtelijke beperkingen

rxc4G3SYEQ8UMf Upgrade naar KadastraleKaart Pro

Grensnauwkeurigheid

GhUSiP2vUpgrade naar KadastraleKaart Pro

Coördinaten hoekpunten perceel

bguZliVCaTlutv3uUpgrade naar KadastraleKaart Pro

Hoogteligging

qrBgVMEIUpgrade naar KadastraleKaart Pro

Laatst gewijzigd

19/05/2022

Kadastrale kaart met maatvoering 59,95
Kadastrale kaart pakket 28,95

Percelen

Gebruik de zoekbalk of klik op een perceel om informatie over het perceel te bekijken.
Locatie
Meten
Lagen
Download