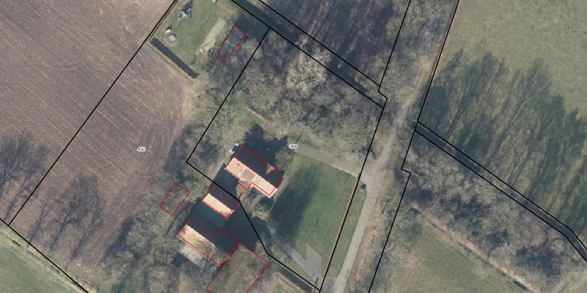
Perceel: DPH00-F-368

Adres bij perceel

Perceeloppervlakte & perceelomtrek

3.150 m2 - 232 m

Eigenaar van het perceel

Eigenaar opvragen

Kadastrale aanduiding

DPH00-F-368 (Diepenheim)

Postcode in perceel

    7478 PK

Type eigenaar

q9p 1BVW F RIhfUpgrade naar KadastraleKaart Pro

Woning verkocht in 2006

Verkoopprijs opvragen

Google Street View

Bekijk op Street View

Download

Download DWG/DXF/Excel

Gerelateerde percelen

fgcQNjwKEfUpgrade naar KadastraleKaart Pro

Bebouwd/onbebouwd/water/groen

WYKh9yF g3r1nqcUpgrade naar KadastraleKaart Pro
Administratieve eenheden
7SpgNJWrf4JKSmzUpgrade naar KadastraleKaart Pro

Appartementsrechten

B5RMu1c EsnyhDD45Upgrade naar KadastraleKaart Pro

Vergunningverlenende instanties

ZN ttOCq83ld wTfUpgrade naar KadastraleKaart Pro

Bedekking (BGT)

6Y3sJw2eMMBI N6SUpgrade naar KadastraleKaart Pro

Publiekrechtelijke beperkingen

6anVYq9X P 7mLHbUoUpgrade naar KadastraleKaart Pro

Grensnauwkeurigheid

2bthGONEB n0VIuAo3NUpgrade naar KadastraleKaart Pro

Coördinaten hoekpunten perceel

aHO4frWlMYOTg5KuFIFUpgrade naar KadastraleKaart Pro

Hoogteligging

3p AK r uUpgrade naar KadastraleKaart Pro

Laatst gewijzigd

28/03/2007

Kadastrale kaart met maatvoering 59,95
Kadastrale kaart pakket 28,95

Percelen

Gebruik de zoekbalk of klik op een perceel om informatie over het perceel te bekijken.
Locatie
Meten
Lagen
Download