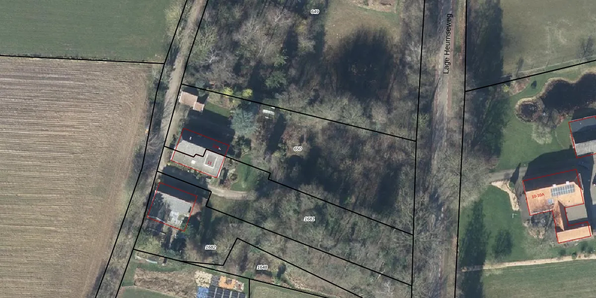
Perceel: DPL00-F-650

Adres bij perceel

Perceeloppervlakte & perceelomtrek

2.120 m2 - 229 m

Eigenaar van het perceel

Eigenaar opvragen

Kadastrale aanduiding

DPL00-F-650 (Dinxperlo)

Postcode in perceel

    7095 AA

Type eigenaar

T1cF7PFyXjEmKUjlfzOyoT Upgrade naar KadastraleKaart Pro

Woning verkocht in 1996

Verkoopprijs opvragen

Google Street View

Bekijk op Street View

Download

Download DWG/DXF/Excel

Gerelateerde percelen

EAG qf 2C1PJN9Upgrade naar KadastraleKaart Pro

Bebouwd/onbebouwd/water/groen

dP3pzX7pAUpgrade naar KadastraleKaart Pro
Administratieve eenheden
NTBxnvWcFNeUpgrade naar KadastraleKaart Pro

Appartementsrechten

6 vCk JHv8Tk5q UCnUpgrade naar KadastraleKaart Pro

Vergunningverlenende instanties

E2qFJsrvsuJc 0 IKWlDUpgrade naar KadastraleKaart Pro

Bedekking (BGT)

3mJjjx lUpgrade naar KadastraleKaart Pro

Publiekrechtelijke beperkingen

XAqyGFq0Upgrade naar KadastraleKaart Pro

Grensnauwkeurigheid

tMDT9rB6cQJQmL0OzUpgrade naar KadastraleKaart Pro

Coördinaten hoekpunten perceel

MpiOu6qkWLoyqRakY0 o9Upgrade naar KadastraleKaart Pro

Hoogteligging

Tv19 LJ7r7 8hUpgrade naar KadastraleKaart Pro

Laatst gewijzigd

22/01/1998

Kadastrale kaart met maatvoering 59,95
Kadastrale kaart pakket 28,95

Percelen

Gebruik de zoekbalk of klik op een perceel om informatie over het perceel te bekijken.
Locatie
Meten
Lagen
Download