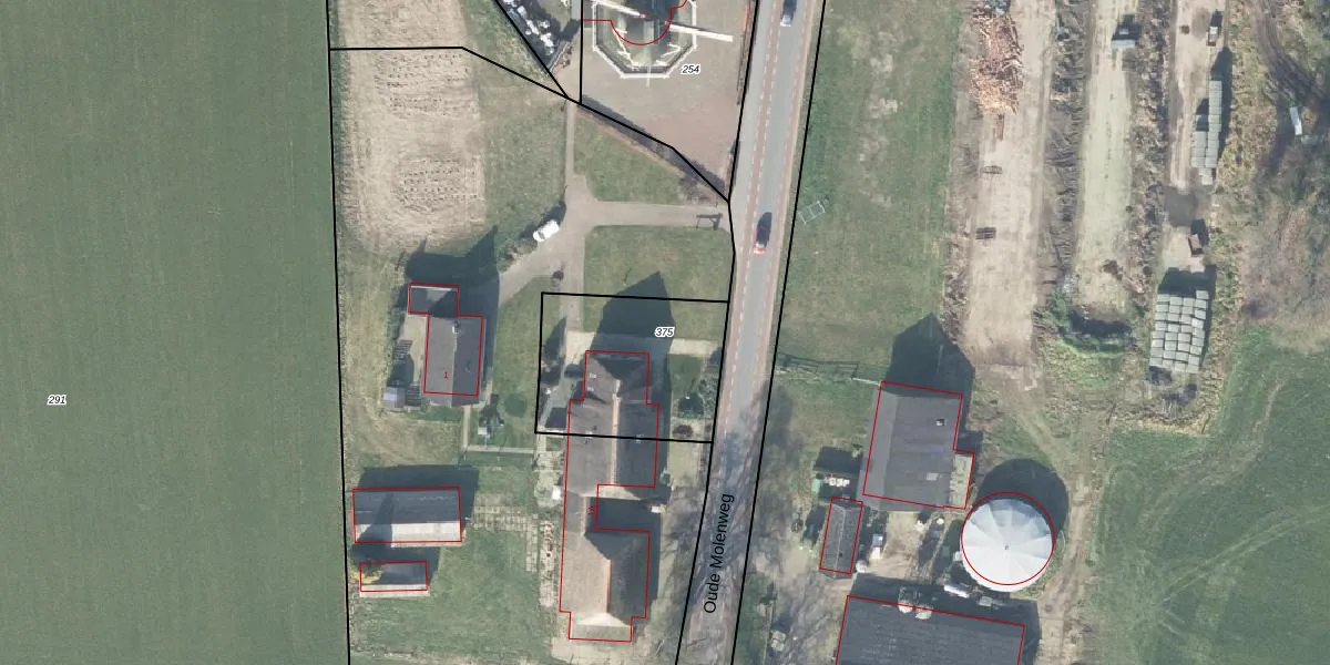
Perceel: DPV00-L-375

Adres bij perceel

Perceeloppervlakte & perceelomtrek

575 m2 - 97 m

Eigenaar van het perceel

Eigenaar opvragen

Kadastrale aanduiding

DPV00-L-375 (Diepenveen)

Postcode in perceel

    7434 PD

Type eigenaar

kD PR8E 0dFzMu g9yrItUpgrade naar KadastraleKaart Pro

Google Street View

Bekijk op Street View

Download

Download DWG/DXF/Excel

Gerelateerde percelen

V66 1g acEu8a84Upgrade naar KadastraleKaart Pro

Bebouwd/onbebouwd/water/groen

Vcy7xa HGfUpgrade naar KadastraleKaart Pro
Administratieve eenheden
gOdEJeraH Upgrade naar KadastraleKaart Pro

Appartementsrechten

13BZi038Dfro lAkQ40Upgrade naar KadastraleKaart Pro

Vergunningverlenende instanties

rxbXRVfIFFs SRJkUpgrade naar KadastraleKaart Pro

Bedekking (BGT)

XVczROb8hCD2p5JB9KgYUpgrade naar KadastraleKaart Pro

Publiekrechtelijke beperkingen

Q40j 9DP6TLY8DGE ffYlNqUpgrade naar KadastraleKaart Pro

Grensnauwkeurigheid

uWE7J8II h5YB4Upgrade naar KadastraleKaart Pro

Coördinaten hoekpunten perceel

8 JwWc8d O D7I SUpgrade naar KadastraleKaart Pro

Hoogteligging

y tmwiAvHFn9P1X99nCUpgrade naar KadastraleKaart Pro

Laatst gewijzigd

15/12/2014

Kadastrale kaart met maatvoering 59,95
Kadastrale kaart pakket 28,95

Percelen

Gebruik de zoekbalk of klik op een perceel om informatie over het perceel te bekijken.
Locatie
Meten
Lagen
Download