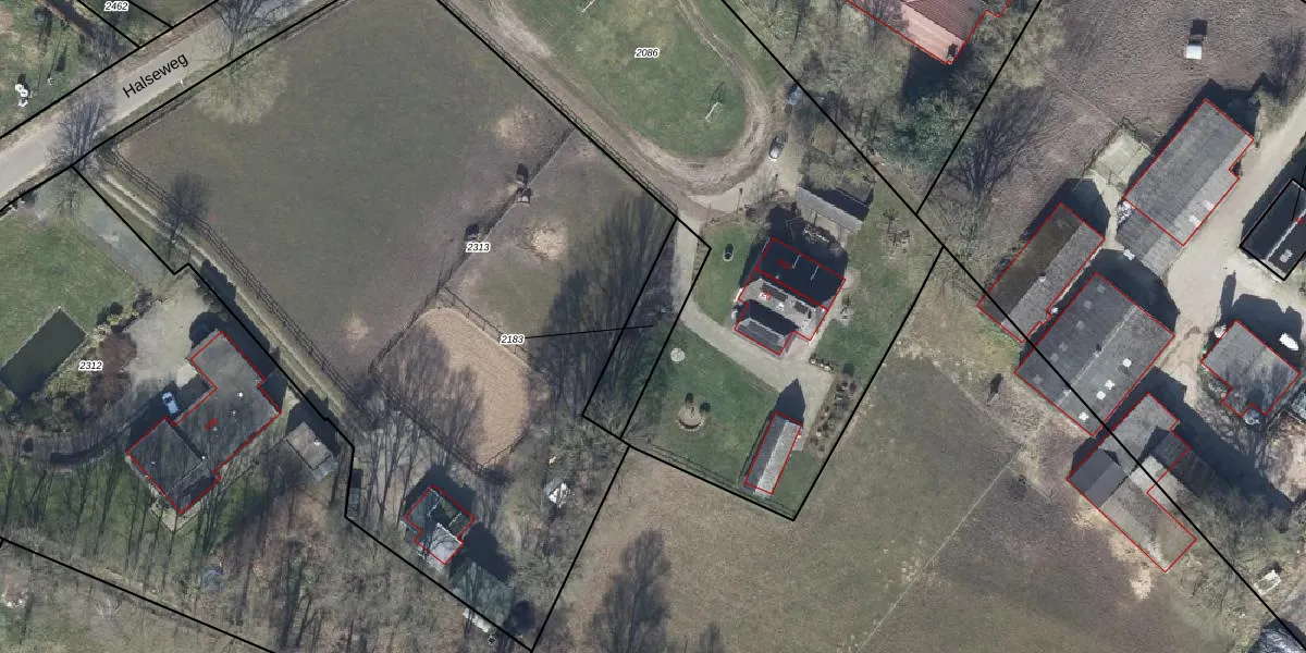
Perceel: DTC01-F-2183

Adres bij perceel

Geen adressen bij dit perceel

Perceeloppervlakte & perceelomtrek

220 m2 - 80 m

Eigenaar van het perceel

Eigenaar opvragen

Kadastrale aanduiding

DTC01-F-2183 (Ambt-Doetinchem)

Postcode in perceel

    Geen postcode aanwezig

Type eigenaar

74OThEPnn7AafRCiHEJeNFcbepUpgrade naar KadastraleKaart Pro

Google Street View

Bekijk op Street View

Download

Download DWG/DXF/Excel

Gerelateerde percelen

uYK KaE1bZuaUpgrade naar KadastraleKaart Pro

Bebouwd/onbebouwd/water/groen

XQjoaPV6zvnxPFFCUpgrade naar KadastraleKaart Pro
Administratieve eenheden
oGmu r0VP TUpgrade naar KadastraleKaart Pro

Appartementsrechten

7L BgvaOLUpgrade naar KadastraleKaart Pro

Vergunningverlenende instanties

U9OA7t5Z6KwXL7ZbUpgrade naar KadastraleKaart Pro

Bedekking (BGT)

qsRaC91zUpgrade naar KadastraleKaart Pro

Publiekrechtelijke beperkingen

Jh9cK O21P2hTUpgrade naar KadastraleKaart Pro

Grensnauwkeurigheid

fJeON2yCKMKP4FrwhQZaBUpgrade naar KadastraleKaart Pro

Coördinaten hoekpunten perceel

NIO2 5Gqr67X9zUpgrade naar KadastraleKaart Pro

Hoogteligging

6Z1 bikm Upgrade naar KadastraleKaart Pro

Laatst gewijzigd

06/01/2004

Kadastrale kaart met maatvoering 59,95
Kadastrale kaart pakket 28,95

Percelen

Gebruik de zoekbalk of klik op een perceel om informatie over het perceel te bekijken.
Locatie
Meten
Lagen
Download