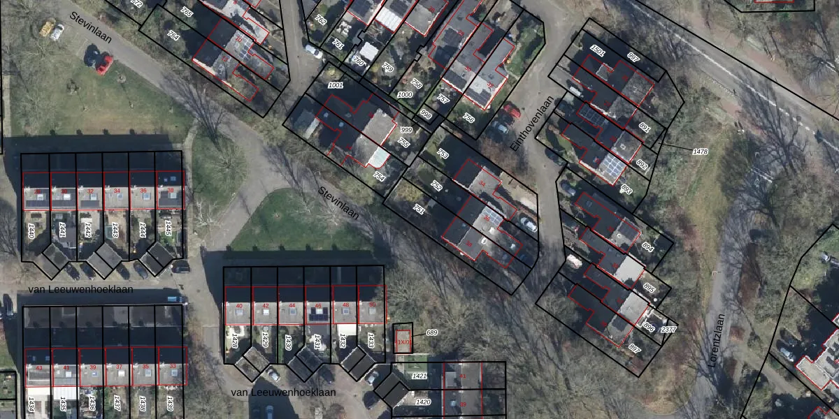
Perceel: DTC01-N-751

Adres bij perceel

Perceeloppervlakte & perceelomtrek

297 m2 - 92 m

Eigenaar van het perceel

Eigenaar opvragen

Kadastrale aanduiding

DTC01-N-751 (Ambt-Doetinchem)

Postcode in perceel

    7002 HG

Type eigenaar

GzL8Qk8N7F6 Jn9y9NSDUpgrade naar KadastraleKaart Pro

Google Street View

Bekijk op Street View

Download

Download DWG/DXF/Excel

Gerelateerde percelen

yhvKgHpQcSG 6Upgrade naar KadastraleKaart Pro

Bebouwd/onbebouwd/water/groen

D qMFbEzRlo ZI7UqU7B4EUUpgrade naar KadastraleKaart Pro
Administratieve eenheden
Yl5mtm 7aP4DS Upgrade naar KadastraleKaart Pro

Appartementsrechten

BVB 16p4irocUpgrade naar KadastraleKaart Pro

Vergunningverlenende instanties

qgpfEXm0Gt9m3uy YPSmUpgrade naar KadastraleKaart Pro

Bedekking (BGT)

R 08iU sHoUpgrade naar KadastraleKaart Pro

Publiekrechtelijke beperkingen

dslPhqREIUB2ZEVi7XF6MifUpgrade naar KadastraleKaart Pro

Grensnauwkeurigheid

wJfXWAJYUpgrade naar KadastraleKaart Pro

Coördinaten hoekpunten perceel

HR5ZPHVKXcSi46IIsqjncEGUpgrade naar KadastraleKaart Pro

Hoogteligging

7UTbCLgTNF73Nv9Hz6uUpgrade naar KadastraleKaart Pro

Laatst gewijzigd

04/03/2003

Kadastrale kaart met maatvoering 59,95
Kadastrale kaart pakket 28,95

Percelen

Gebruik de zoekbalk of klik op een perceel om informatie over het perceel te bekijken.
Locatie
Meten
Lagen
Download