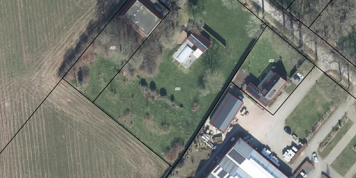
Perceel: DTC01-Z-153

Adres bij perceel

Perceeloppervlakte & perceelomtrek

5.500 m2 - 327 m

Eigenaar van het perceel

Eigenaar opvragen

Kadastrale aanduiding

DTC01-Z-153 (Ambt-Doetinchem)

Postcode in perceel

    7002 ZD

Type eigenaar

DihkY7bsSk2xrlFFCz92m5FWVUpgrade naar KadastraleKaart Pro

Google Street View

Bekijk op Street View

Download

Download DWG/DXF/Excel

Gerelateerde percelen

tYJAdSMPCSTB2NcD2wR b7Upgrade naar KadastraleKaart Pro

Bebouwd/onbebouwd/water/groen

6r 9Lu6TeUpgrade naar KadastraleKaart Pro
Administratieve eenheden
6exUimkzOvUuHy25 COMWzUpgrade naar KadastraleKaart Pro

Appartementsrechten

KIf0VCreR AUpgrade naar KadastraleKaart Pro

Vergunningverlenende instanties

dbFB7DB3S2JsrUpgrade naar KadastraleKaart Pro

Bedekking (BGT)

TI5vkpyLGaH O336Upgrade naar KadastraleKaart Pro

Publiekrechtelijke beperkingen

7LkdDm9PSgkCRCUpgrade naar KadastraleKaart Pro

Grensnauwkeurigheid

rwvCy7pda2bwddGUpgrade naar KadastraleKaart Pro

Coördinaten hoekpunten perceel

5sUOZzA3hdWC OwYOBUpgrade naar KadastraleKaart Pro

Hoogteligging

PC73fJldja rd2tdUpgrade naar KadastraleKaart Pro

Laatst gewijzigd

02/08/2010

Kadastrale kaart met maatvoering 59,95
Kadastrale kaart pakket 28,95

Percelen

Gebruik de zoekbalk of klik op een perceel om informatie over het perceel te bekijken.
Locatie
Meten
Lagen
Download