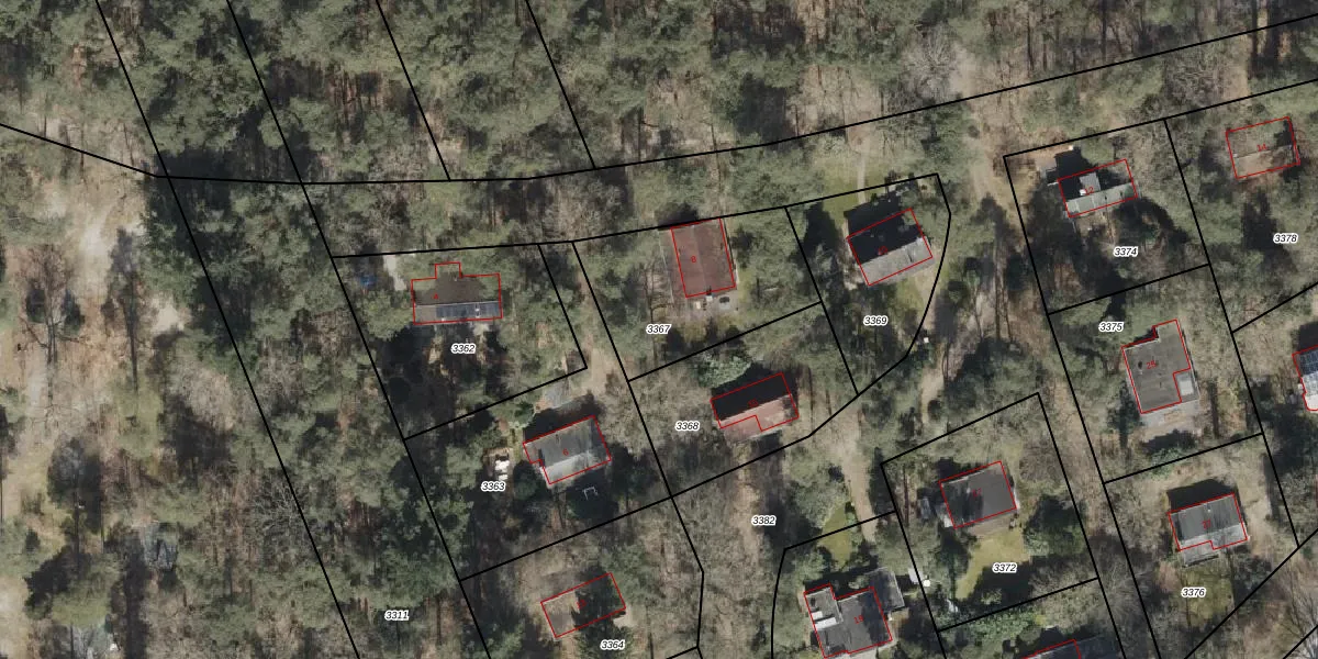
Perceel: DVR00-B-3367

Adres bij perceel

Perceeloppervlakte & perceelomtrek

607 m2 - 103 m

Eigenaar van het perceel

Eigenaar opvragen

Kadastrale aanduiding

DVR00-B-3367 (Diever)

Postcode in perceel

    7981 LW

Type eigenaar

kPxiU6oxkC6kHMYvH1X1u iVUpgrade naar KadastraleKaart Pro

Woning verkocht in 2022

Verkoopprijs opvragen

Google Street View

Bekijk op Street View

Download

Download DWG/DXF/Excel

Gerelateerde percelen

66QxdQ MellVpqKBXj0mUpgrade naar KadastraleKaart Pro

Bebouwd/onbebouwd/water/groen

ROt HxZgh0yKr8CbEUpgrade naar KadastraleKaart Pro
Administratieve eenheden
ijRwy wocbABhu EUpgrade naar KadastraleKaart Pro

Appartementsrechten

TXVH2qN2cpUpgrade naar KadastraleKaart Pro

Vergunningverlenende instanties

cIr97ANhILYcehrAUpgrade naar KadastraleKaart Pro

Bedekking (BGT)

OL rUVMk1vneWUpgrade naar KadastraleKaart Pro

Publiekrechtelijke beperkingen

mfJq6sBFH5NTvs MUpgrade naar KadastraleKaart Pro

Grensnauwkeurigheid

7cduIJqRGEMK6r fLihcUpgrade naar KadastraleKaart Pro

Coördinaten hoekpunten perceel

k CMGKO YwxCKFXUqlgLUpgrade naar KadastraleKaart Pro

Hoogteligging

UvCwkJ2gnUpgrade naar KadastraleKaart Pro

Laatst gewijzigd

04/03/1999

Kadastrale kaart met maatvoering 59,95
Kadastrale kaart pakket 28,95

Percelen

Gebruik de zoekbalk of klik op een perceel om informatie over het perceel te bekijken.
Locatie
Meten
Lagen
Download