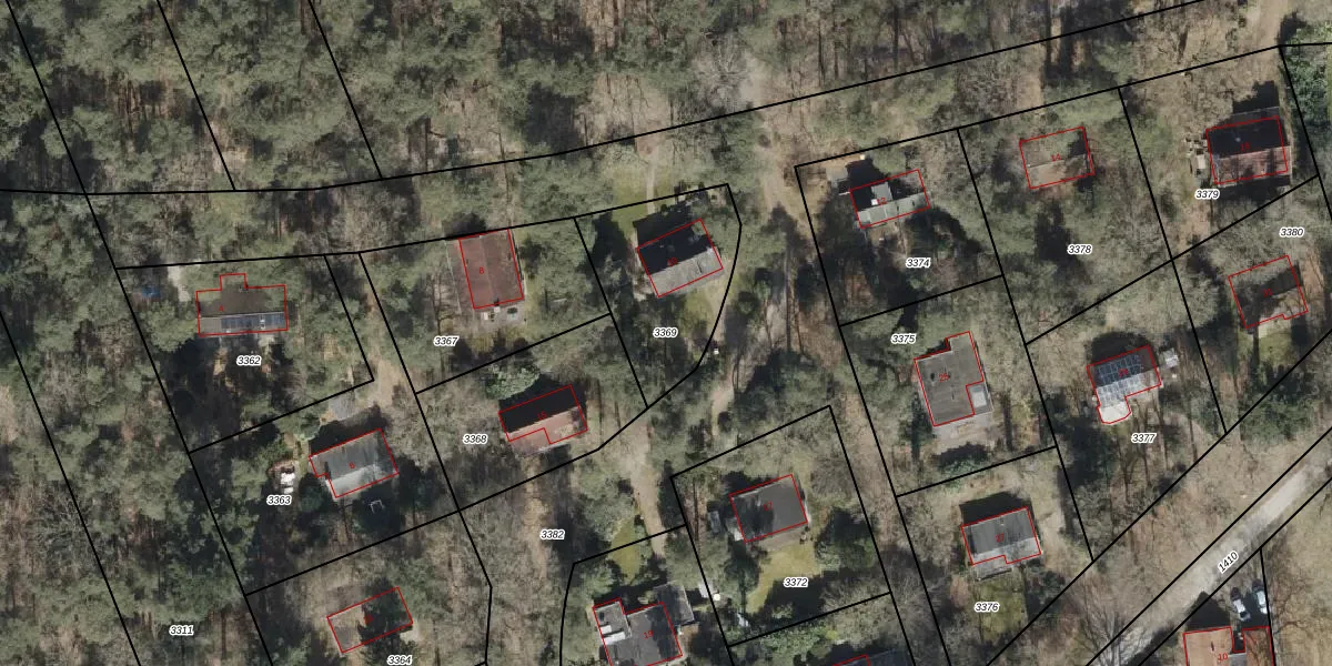
Perceel: DVR00-B-3369

Adres bij perceel

Perceeloppervlakte & perceelomtrek

494 m2 - 93 m

Eigenaar van het perceel

Eigenaar opvragen

Kadastrale aanduiding

DVR00-B-3369 (Diever)

Postcode in perceel

    7981 LW

Type eigenaar

erYXxomfASVYZk2kwFYUpgrade naar KadastraleKaart Pro

Woning verkocht in 2018

Verkoopprijs opvragen

Google Street View

Bekijk op Street View

Download

Download DWG/DXF/Excel

Gerelateerde percelen

t0pkQSqAxDrit W9gNYTxZUpgrade naar KadastraleKaart Pro

Bebouwd/onbebouwd/water/groen

es1 6qBqfkH8gLf5bnmUpgrade naar KadastraleKaart Pro
Administratieve eenheden
p1 91 VS3hbXfUMDPqW6Upgrade naar KadastraleKaart Pro

Appartementsrechten

CkjK5wpOaS3TJ aLUpgrade naar KadastraleKaart Pro

Vergunningverlenende instanties

1QZAnrS6HaYk vAT0mstg03Upgrade naar KadastraleKaart Pro

Bedekking (BGT)

8nAK1Luabgqemm dcCUpgrade naar KadastraleKaart Pro

Publiekrechtelijke beperkingen

Rzn3DIrVmHZEZ4gDOg 83jUpgrade naar KadastraleKaart Pro

Grensnauwkeurigheid

AjDJe lxmbuF x50An DXUpgrade naar KadastraleKaart Pro

Coördinaten hoekpunten perceel

4jOF rMmZm W t7OHrw7IUpgrade naar KadastraleKaart Pro

Hoogteligging

DGTC99y Upgrade naar KadastraleKaart Pro

Laatst gewijzigd

04/03/1999

Kadastrale kaart met maatvoering 59,95
Kadastrale kaart pakket 28,95

Percelen

Gebruik de zoekbalk of klik op een perceel om informatie over het perceel te bekijken.
Locatie
Meten
Lagen
Download