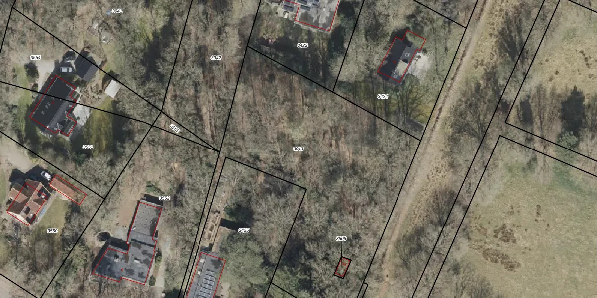
Perceel: DVR00-B-3943

Adres bij perceel

Geen adressen bij dit perceel

Perceeloppervlakte & perceelomtrek

3.000 m2 - 438 m

Eigenaar van het perceel

Eigenaar opvragen

Kadastrale aanduiding

DVR00-B-3943 (Diever)

Postcode in perceel

    Geen postcode aanwezig

Type eigenaar

NrIq0lN7llts2Zo6kUpgrade naar KadastraleKaart Pro

Google Street View

Bekijk op Street View

Download

Download DWG/DXF/Excel

Gerelateerde percelen

4rN2 SE Upgrade naar KadastraleKaart Pro

Bebouwd/onbebouwd/water/groen

B mQaERwhGn19cUpgrade naar KadastraleKaart Pro
Administratieve eenheden
XbDcxTeMCgP7Upgrade naar KadastraleKaart Pro

Appartementsrechten

8Tvu0HUMFcTnjL0rzIzXUpgrade naar KadastraleKaart Pro

Vergunningverlenende instanties

7gvS0o Od1rz4QUpgrade naar KadastraleKaart Pro

Bedekking (BGT)

QypV8 eELqv 3Upgrade naar KadastraleKaart Pro

Publiekrechtelijke beperkingen

op s 5weUpgrade naar KadastraleKaart Pro

Grensnauwkeurigheid

IwaQ FYpJm Upgrade naar KadastraleKaart Pro

Coördinaten hoekpunten perceel

zUaYeutaHZltsHey FUpgrade naar KadastraleKaart Pro

Hoogteligging

D8O6TNiPf Upgrade naar KadastraleKaart Pro

Laatst gewijzigd

01/02/2000

Kadastrale kaart met maatvoering 59,95
Kadastrale kaart pakket 28,95

Percelen

Gebruik de zoekbalk of klik op een perceel om informatie over het perceel te bekijken.
Locatie
Meten
Lagen
Download