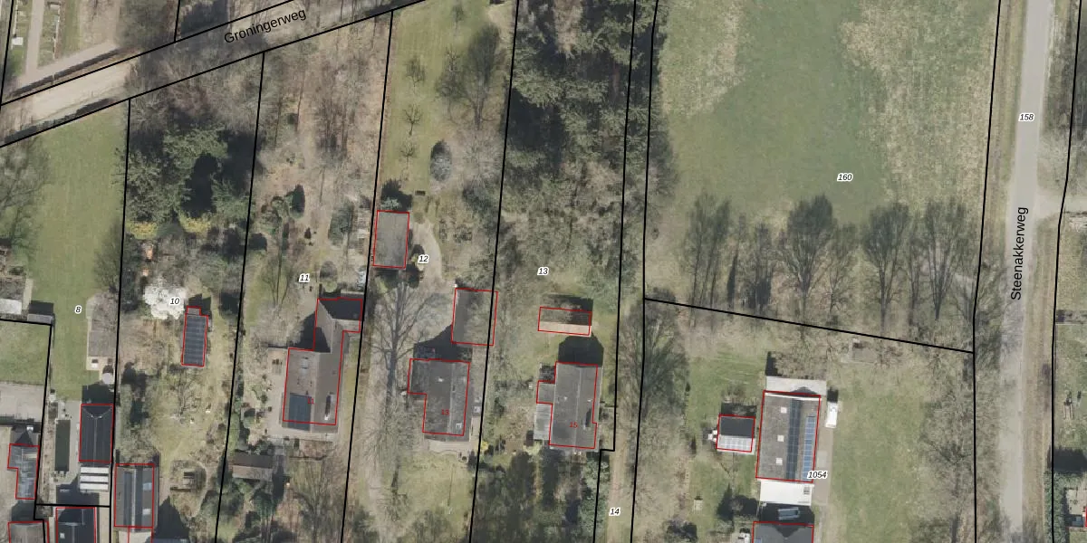
Perceel: DVR00-G-13

Adres bij perceel

Perceeloppervlakte & perceelomtrek

3.023 m2 - 316 m

Eigenaar van het perceel

Eigenaar opvragen

Kadastrale aanduiding

DVR00-G-13 (Diever)

Postcode in perceel

    7981 AN

Type eigenaar

nvTR mNqhE ZJfLJZrfw0MQmUpgrade naar KadastraleKaart Pro

Google Street View

Bekijk op Street View

Download

Download DWG/DXF/Excel

Gerelateerde percelen

aZ BsZbTbUeZP d6hUpgrade naar KadastraleKaart Pro

Bebouwd/onbebouwd/water/groen

PeV5TzbuDnCGUpgrade naar KadastraleKaart Pro
Administratieve eenheden
4IP4Dt5 R BZDUpgrade naar KadastraleKaart Pro

Appartementsrechten

RBEybu7d Qzwz6 Upgrade naar KadastraleKaart Pro

Vergunningverlenende instanties

DeF wdSf7OJn1CO4iV bgAUpgrade naar KadastraleKaart Pro

Bedekking (BGT)

Nf FmzIeNDpUpgrade naar KadastraleKaart Pro

Publiekrechtelijke beperkingen

4YC9zdWlsCeUKfQUpgrade naar KadastraleKaart Pro

Grensnauwkeurigheid

Ky0ScnvkPBi5pUpgrade naar KadastraleKaart Pro

Coördinaten hoekpunten perceel

FymcD4 HRNVc4eecKUpgrade naar KadastraleKaart Pro

Hoogteligging

85 a9BCddj ECz8FqHILUpgrade naar KadastraleKaart Pro

Laatst gewijzigd

13/01/2003

Kadastrale kaart met maatvoering 59,95
Kadastrale kaart pakket 28,95

Percelen

Gebruik de zoekbalk of klik op een perceel om informatie over het perceel te bekijken.
Locatie
Meten
Lagen
Download