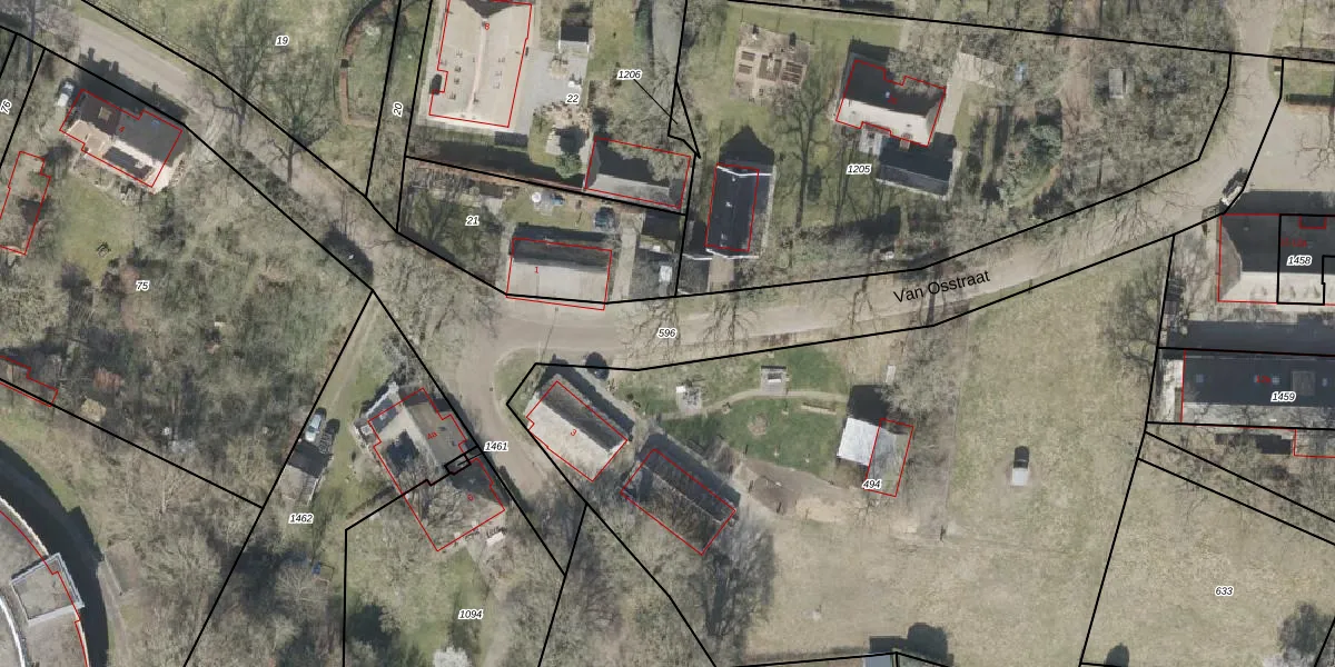
Perceel: DVR00-G-596

Adres bij perceel

Geen adressen bij dit perceel

Perceeloppervlakte & perceelomtrek

3.056 m2 - 690 m

Eigenaar van het perceel

Eigenaar opvragen

Kadastrale aanduiding

DVR00-G-596 (Diever)

Postcode in perceel

    Geen postcode aanwezig

Type eigenaar

i 8 w6K91IkR c LaHZ iOa1B9noSXUpgrade naar KadastraleKaart Pro

Google Street View

Bekijk op Street View

Download

Download DWG/DXF/Excel

Gerelateerde percelen

1N438dKmmeRBMUpgrade naar KadastraleKaart Pro

Bebouwd/onbebouwd/water/groen

q64UvC1dOUpgrade naar KadastraleKaart Pro
Administratieve eenheden
F3pux7vErKqxC j1SUpgrade naar KadastraleKaart Pro

Appartementsrechten

yV73UyeA9Nvu Yl Wq2Upgrade naar KadastraleKaart Pro

Vergunningverlenende instanties

kDnZ6 WzUTuBCCoufUJu3l Upgrade naar KadastraleKaart Pro

Bedekking (BGT)

2rvogaTxAUpgrade naar KadastraleKaart Pro

Publiekrechtelijke beperkingen

WFaZrJxUf3KyJUpgrade naar KadastraleKaart Pro

Grensnauwkeurigheid

L G 8 UXAZbUpgrade naar KadastraleKaart Pro

Coördinaten hoekpunten perceel

J2 xvuIAUpgrade naar KadastraleKaart Pro

Hoogteligging

o0Xwi2Nds WJR555EZUpgrade naar KadastraleKaart Pro

Laatst gewijzigd

11/08/2009

Kadastrale kaart met maatvoering 59,95
Kadastrale kaart pakket 28,95

Percelen

Gebruik de zoekbalk of klik op een perceel om informatie over het perceel te bekijken.
Locatie
Meten
Lagen
Download