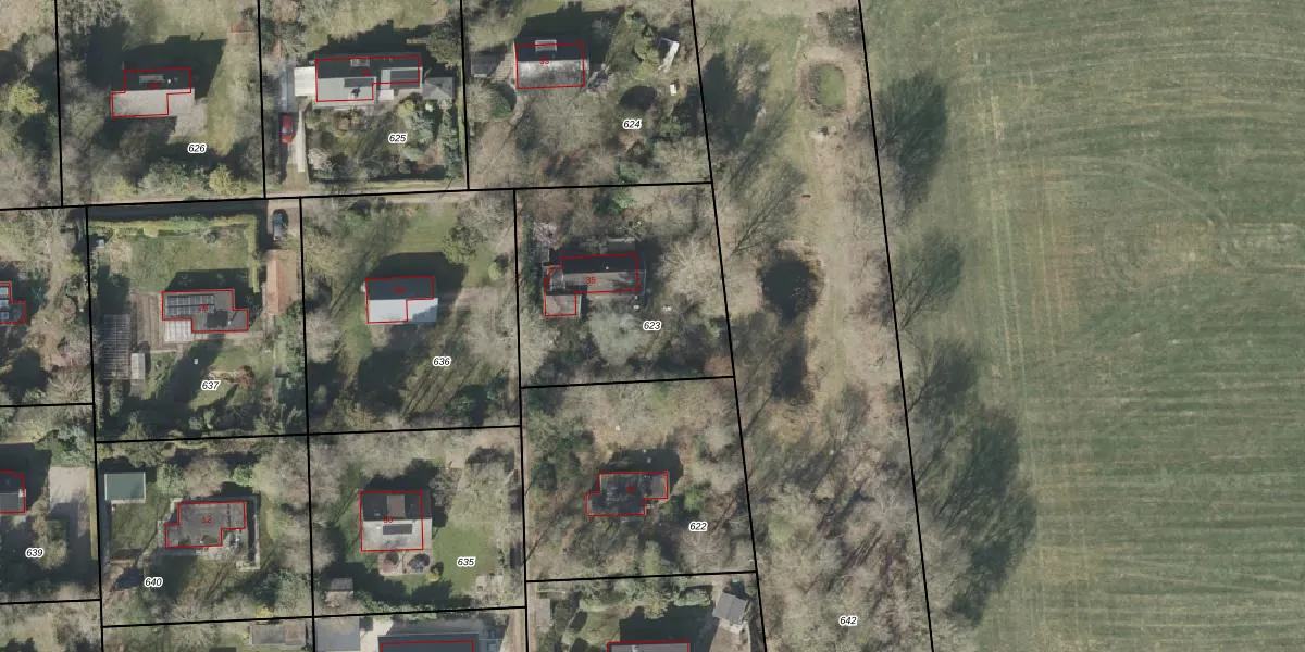
Perceel: DVR00-I-623

Adres bij perceel

Perceeloppervlakte & perceelomtrek

980 m2 - 124 m

Eigenaar van het perceel

Eigenaar opvragen

Kadastrale aanduiding

DVR00-I-623 (Diever)

Postcode in perceel

    7986 PS

Type eigenaar

KdNoO1B6jIT8 CLRUvw fUpgrade naar KadastraleKaart Pro

Woning verkocht in 2001

Verkoopprijs opvragen

Google Street View

Bekijk op Street View

Download

Download DWG/DXF/Excel

Gerelateerde percelen

rN s7qzUpgrade naar KadastraleKaart Pro

Bebouwd/onbebouwd/water/groen

gbWX60RkBY72Upgrade naar KadastraleKaart Pro
Administratieve eenheden
UM dTQ3iMAFvYDEUQuxSzUpgrade naar KadastraleKaart Pro

Appartementsrechten

I14Ow3QUpgrade naar KadastraleKaart Pro

Vergunningverlenende instanties

w3AM KMmnZ8kpUUpgrade naar KadastraleKaart Pro

Bedekking (BGT)

8ra brkd9WMksH2HnOKByUpgrade naar KadastraleKaart Pro

Publiekrechtelijke beperkingen

blnJw8fVX8m ZSFqb0SUpgrade naar KadastraleKaart Pro

Grensnauwkeurigheid

tiGkXbUMhTf9Upgrade naar KadastraleKaart Pro

Coördinaten hoekpunten perceel

yhM9045HDSdeqs5nxhUpgrade naar KadastraleKaart Pro

Hoogteligging

lkQ1NqrHs 8s9VlwwurJUpgrade naar KadastraleKaart Pro

Laatst gewijzigd

02/02/2000

Kadastrale kaart met maatvoering 59,95
Kadastrale kaart pakket 28,95

Percelen

Gebruik de zoekbalk of klik op een perceel om informatie over het perceel te bekijken.
Locatie
Meten
Lagen
Download