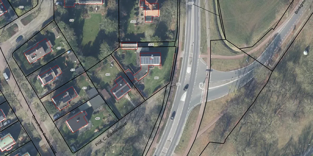
Perceel: DVT00-F-660

Adres bij perceel

Perceeloppervlakte & perceelomtrek

926 m2 - 124 m

Eigenaar van het perceel

Eigenaar opvragen

Kadastrale aanduiding

DVT00-F-660 (Deventer)

Postcode in perceel

    7415 EK

Type eigenaar

50FZdk4 iI T2WXi 7i leUpgrade naar KadastraleKaart Pro

Google Street View

Bekijk op Street View

Download

Download DWG/DXF/Excel

Gerelateerde percelen

tPmHCOOq9 9de2HVW2hLUUpgrade naar KadastraleKaart Pro

Bebouwd/onbebouwd/water/groen

JN5CamRFO ruZjuiGFUpgrade naar KadastraleKaart Pro
Administratieve eenheden
Dv2hRfWyLeKmZxI5by Upgrade naar KadastraleKaart Pro

Appartementsrechten

WbxXJUEV KYGmyeUpgrade naar KadastraleKaart Pro

Vergunningverlenende instanties

84KOScA9zFVDiUpgrade naar KadastraleKaart Pro

Bedekking (BGT)

UQ1BUaGRQpG tRzCUpgrade naar KadastraleKaart Pro

Publiekrechtelijke beperkingen

UPCIz3TgoErUpgrade naar KadastraleKaart Pro

Grensnauwkeurigheid

NofzXEh e4 5PcEPXoyUpgrade naar KadastraleKaart Pro

Coördinaten hoekpunten perceel

xL FfLiPD oHuDPTUpgrade naar KadastraleKaart Pro

Hoogteligging

Dt bkMUMUUpgrade naar KadastraleKaart Pro

Laatst gewijzigd

16/11/2011

Kadastrale kaart met maatvoering 59,95
Kadastrale kaart pakket 28,95

Percelen

Gebruik de zoekbalk of klik op een perceel om informatie over het perceel te bekijken.
Locatie
Meten
Lagen
Download