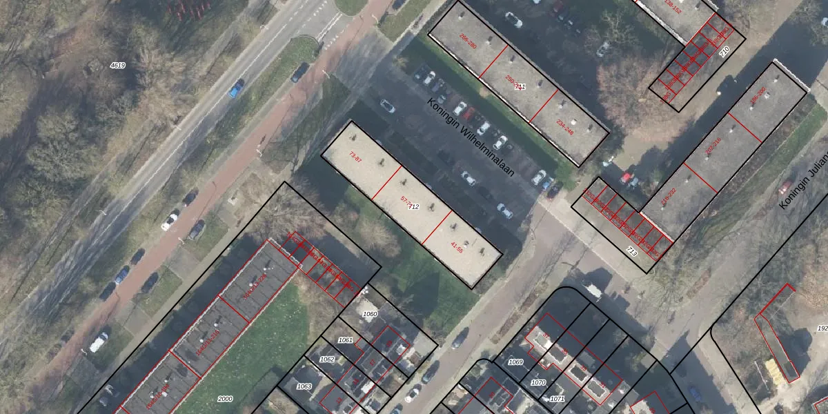
Perceel: DVT00-F-712

24 adressen bij perceel

Koningin Wilhelminalaan 41 t/m 87

Perceeloppervlakte & perceelomtrek

538 m2 - 120 m

Eigenaar van het perceel

Eigenaar opvragen

Kadastrale aanduiding

DVT00-F-712 (Deventer)

Postcodes in perceel

    7415 KP -7415 KR

Type eigenaar

HIA3kTQxs4LW SBooywhEZqn1 uEUpgrade naar KadastraleKaart Pro

Woning verkocht in 2001

Verkoopprijs opvragen

Google Street View

Bekijk op Street View

Download

Download DWG/DXF/Excel

Gerelateerde percelen

V0Z V8whbfvW3NjXwGUpgrade naar KadastraleKaart Pro

Bebouwd/onbebouwd/water/groen

gTfdtZTNi 5OBT xH3Upgrade naar KadastraleKaart Pro
Administratieve eenheden
YITxL MajlMvpXttUeDUpgrade naar KadastraleKaart Pro

Appartementsrechten

VPyYrgkq1eeCkxecQUpgrade naar KadastraleKaart Pro

Vergunningverlenende instanties

Pf2Q5ntrUpgrade naar KadastraleKaart Pro

Bedekking (BGT)

A8dcBwUgzcEzEkVQMk ozdxUpgrade naar KadastraleKaart Pro

Publiekrechtelijke beperkingen

onU 1iHde cl BjxyUpgrade naar KadastraleKaart Pro

Grensnauwkeurigheid

jV25she97qUpgrade naar KadastraleKaart Pro

Coördinaten hoekpunten perceel

MwgGS1vEm 4Z1EvD2jrHUUUpgrade naar KadastraleKaart Pro

Hoogteligging

s dCOk3lP9 NPAZJ772DwUpgrade naar KadastraleKaart Pro

Laatst gewijzigd

20/04/2010

Kadastrale kaart met maatvoering 59,95
Kadastrale kaart pakket 28,95

Percelen

Gebruik de zoekbalk of klik op een perceel om informatie over het perceel te bekijken.
Locatie
Meten
Lagen
Download