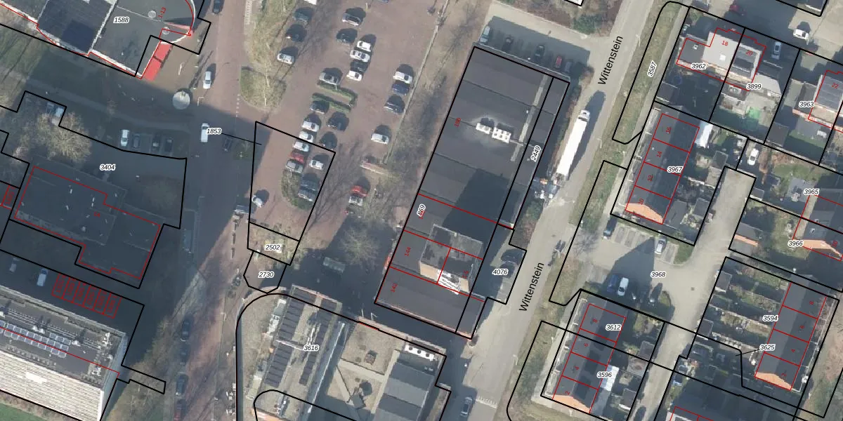
Perceel: DVT00-F-869

6 adressen bij perceel

Dreef 142 t/m 150
Wittenstein 1 t/m 5

Perceeloppervlakte & perceelomtrek

1.326 m2 - 171 m

Eigenaar van het perceel

Eigenaar opvragen

Kadastrale aanduiding

DVT00-F-869 (Deventer)

Postcodes in perceel

    7414 EJ -7414 ET

Type eigenaar

1rmYzeBEauMYGVdo5okQBWLqIOUpgrade naar KadastraleKaart Pro

Woning verkocht in 2022

Verkoopprijs opvragen

Google Street View

Bekijk op Street View

Download

Download DWG/DXF/Excel

Gerelateerde percelen

OFzjFxT2Upgrade naar KadastraleKaart Pro

Bebouwd/onbebouwd/water/groen

USQQXYI6Bdtz57ywZUpgrade naar KadastraleKaart Pro
Administratieve eenheden
oPt u 5hEcAde2WqL46Upgrade naar KadastraleKaart Pro

Appartementsrechten

xZBxakQyxvcDFL7gJcJeNUpgrade naar KadastraleKaart Pro

Vergunningverlenende instanties

Kn B qF7gy9gf6 KUpgrade naar KadastraleKaart Pro

Bedekking (BGT)

RjKxmn bq cX1EN4 d5kUpgrade naar KadastraleKaart Pro

Publiekrechtelijke beperkingen

hnEa2UDDkPkta sIQUpgrade naar KadastraleKaart Pro

Grensnauwkeurigheid

PqmNY F9V4 LT01Upgrade naar KadastraleKaart Pro

Coördinaten hoekpunten perceel

qrP7cJnm7ANSjp iUpgrade naar KadastraleKaart Pro

Hoogteligging

T93oI Z8axmV8KUpgrade naar KadastraleKaart Pro

Laatst gewijzigd

30/05/2013

Kadastrale kaart met maatvoering 59,95
Kadastrale kaart pakket 28,95

Percelen

Gebruik de zoekbalk of klik op een perceel om informatie over het perceel te bekijken.
Locatie
Meten
Lagen
Download