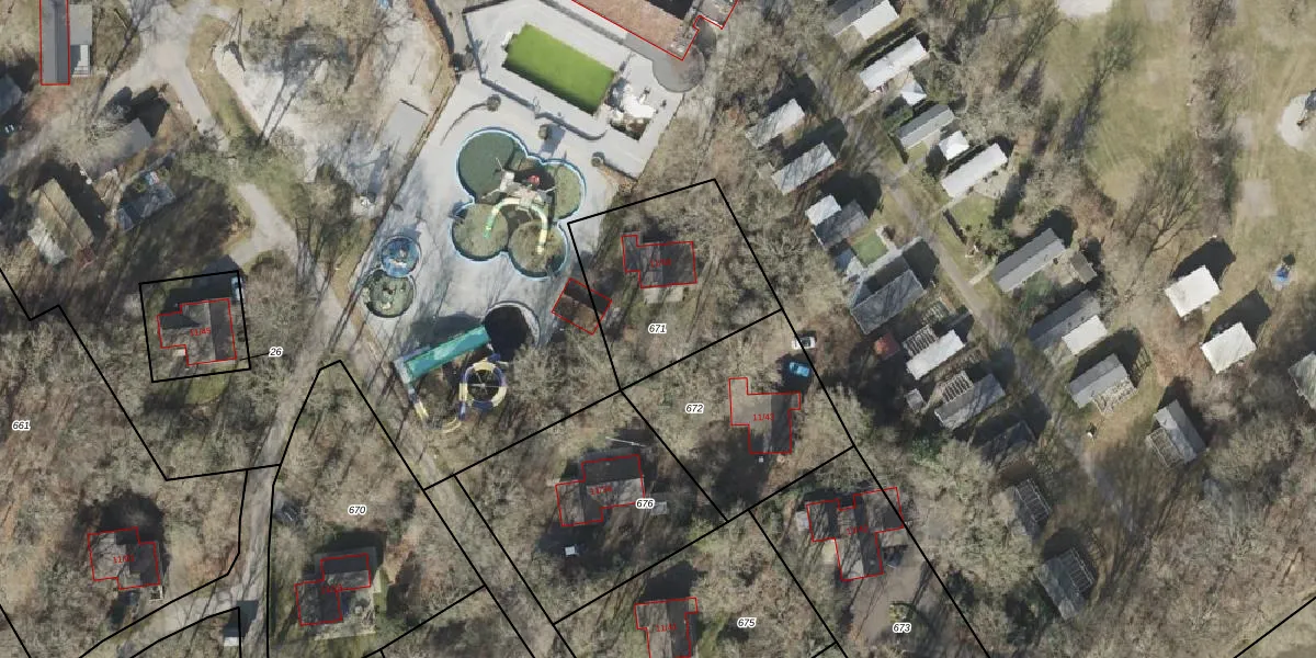
Perceel: DWD00-D-671

Adres bij perceel

Perceeloppervlakte & perceelomtrek

615 m2 - 100 m

Eigenaar van het perceel

Eigenaar opvragen

Kadastrale aanduiding

DWD00-D-671 (Duurswoude)

Postcode in perceel

    9243 KA

Type eigenaar

LiRuAeURb55zeyL2PUo9u6Upgrade naar KadastraleKaart Pro

Google Street View

Bekijk op Street View

Download

Download DWG/DXF/Excel

Gerelateerde percelen

oa905S7eUpgrade naar KadastraleKaart Pro

Bebouwd/onbebouwd/water/groen

JXj8ZGd6iUpgrade naar KadastraleKaart Pro
Administratieve eenheden
6ZTV HrJzgEkg 13gqjNCNUpgrade naar KadastraleKaart Pro

Appartementsrechten

A9DyPYqwBOF8AdWy 8EUpgrade naar KadastraleKaart Pro

Vergunningverlenende instanties

4pPpWo UaMnAn96PsNeKi3Upgrade naar KadastraleKaart Pro

Bedekking (BGT)

gzxjUlVjR qNx0ITUpgrade naar KadastraleKaart Pro

Publiekrechtelijke beperkingen

cAgxNhUTiGAQ47442Ova8JWUpgrade naar KadastraleKaart Pro

Grensnauwkeurigheid

hCjT7vV6QbamuC zr1Upgrade naar KadastraleKaart Pro

Coördinaten hoekpunten perceel

gyA FG ialI4acx2ZE3Upgrade naar KadastraleKaart Pro

Hoogteligging

nd dG5A0tDi0Upgrade naar KadastraleKaart Pro

Laatst gewijzigd

15/01/1998

Kadastrale kaart met maatvoering 59,95
Kadastrale kaart pakket 28,95

Percelen

Gebruik de zoekbalk of klik op een perceel om informatie over het perceel te bekijken.
Locatie
Meten
Lagen
Download