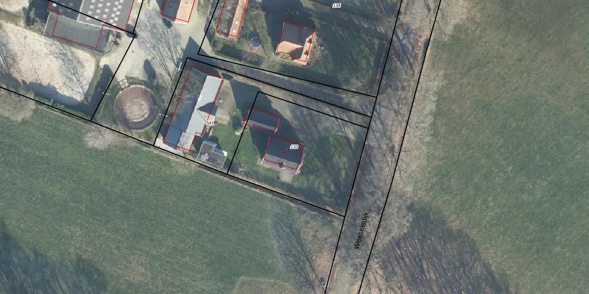
Perceel: EBG02-AB-133

Adres bij perceel

Perceeloppervlakte & perceelomtrek

1.250 m2 - 143 m

Eigenaar van het perceel

Eigenaar opvragen

Kadastrale aanduiding

EBG02-AB-133 (Eibergen)

Postcode in perceel

    7151 HR

Type eigenaar

RbLv zN5HOkytEOUGi nxzUpgrade naar KadastraleKaart Pro

Google Street View

Bekijk op Street View

Download

Download DWG/DXF/Excel

Gerelateerde percelen

3DA7ToVaZiLk Ts7Upgrade naar KadastraleKaart Pro

Bebouwd/onbebouwd/water/groen

A46a0mFfPi3zJ MEtLT1Upgrade naar KadastraleKaart Pro
Administratieve eenheden
t ybY76UP gWNGYT1QMK OUpgrade naar KadastraleKaart Pro

Appartementsrechten

NdKxkl E0EHQj4Upgrade naar KadastraleKaart Pro

Vergunningverlenende instanties

Rsrr9 0zuio HpwX GUpgrade naar KadastraleKaart Pro

Bedekking (BGT)

JDBurdoB7 VtLWmaB5oCUpgrade naar KadastraleKaart Pro

Publiekrechtelijke beperkingen

HidRs2BffrvVOZw8MSTUpgrade naar KadastraleKaart Pro

Grensnauwkeurigheid

vDhTya0 vz cK tV hZUpgrade naar KadastraleKaart Pro

Coördinaten hoekpunten perceel

9RcJjnovRDfCeoQUpgrade naar KadastraleKaart Pro

Hoogteligging

j8BOz ufKcl0RI74gDxy6Upgrade naar KadastraleKaart Pro

Laatst gewijzigd

18/04/2007

Kadastrale kaart met maatvoering 59,95
Kadastrale kaart pakket 28,95

Percelen

Gebruik de zoekbalk of klik op een perceel om informatie over het perceel te bekijken.
Locatie
Meten
Lagen
Download