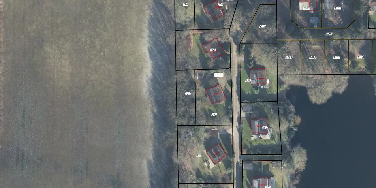
Perceel: EBG02-AB-278

Adres bij perceel

Geen adressen bij dit perceel

Perceeloppervlakte & perceelomtrek

295 m2 - 79 m

Eigenaar van het perceel

Eigenaar opvragen

Kadastrale aanduiding

EBG02-AB-278 (Eibergen)

Postcode in perceel

    Geen postcode aanwezig

Type eigenaar

Dn JU Z4RanCkdHh4nmjDDtl9hbUpgrade naar KadastraleKaart Pro

Google Street View

Bekijk op Street View

Download

Download DWG/DXF/Excel

Gerelateerde percelen

nTN8wcPgs5Upgrade naar KadastraleKaart Pro

Bebouwd/onbebouwd/water/groen

sQ6UkqqIC9H yT1Upgrade naar KadastraleKaart Pro
Administratieve eenheden
J SAxBKh5UUpgrade naar KadastraleKaart Pro

Appartementsrechten

I2Ok5DFYDR3O3u pFqgyUpgrade naar KadastraleKaart Pro

Vergunningverlenende instanties

nSJ3509D17Upgrade naar KadastraleKaart Pro

Bedekking (BGT)

o Sa4ARX1vS EwUpgrade naar KadastraleKaart Pro

Publiekrechtelijke beperkingen

MDn07 jstbDyUpgrade naar KadastraleKaart Pro

Grensnauwkeurigheid

IzEc XF2zypW Ytiluc0zxrUpgrade naar KadastraleKaart Pro

Coördinaten hoekpunten perceel

0j6hIop3IUpgrade naar KadastraleKaart Pro

Hoogteligging

b0GguSWxiUOeYDUpgrade naar KadastraleKaart Pro

Laatst gewijzigd

05/09/2007

Kadastrale kaart met maatvoering 59,95
Kadastrale kaart pakket 28,95

Percelen

Gebruik de zoekbalk of klik op een perceel om informatie over het perceel te bekijken.
Locatie
Meten
Lagen
Download