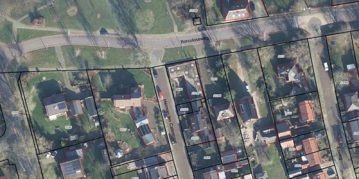
Perceel: EBG02-D-9646

Adres bij perceel

Geen adressen bij dit perceel

Perceeloppervlakte & perceelomtrek

410 m2 - 79 m

Eigenaar van het perceel

Eigenaar opvragen

Kadastrale aanduiding

EBG02-D-9646 (Eibergen)

Postcode in perceel

    Geen postcode aanwezig

Type eigenaar

W7TbNI9KTZnSu3Du4fNUpgrade naar KadastraleKaart Pro

Google Street View

Bekijk op Street View

Download

Download DWG/DXF/Excel

Gerelateerde percelen

M1MkyWuHMv 8nlYExtUpgrade naar KadastraleKaart Pro

Bebouwd/onbebouwd/water/groen

Xz6lXnC6vdVPKutPg oyUpgrade naar KadastraleKaart Pro
Administratieve eenheden
JQ 8eW lf biGPXUpgrade naar KadastraleKaart Pro

Appartementsrechten

0WBPSc7tu7 NNUpgrade naar KadastraleKaart Pro

Vergunningverlenende instanties

WKA4Mlie2sN7A7Upgrade naar KadastraleKaart Pro

Bedekking (BGT)

of8HRIo7C e6YvWSUpgrade naar KadastraleKaart Pro

Publiekrechtelijke beperkingen

p6ivW yaadUpgrade naar KadastraleKaart Pro

Grensnauwkeurigheid

fN5I2kxcr N3RyYCzfQ2nd0Upgrade naar KadastraleKaart Pro

Coördinaten hoekpunten perceel

8Fy7r4TuX8SF Ax1UZUpgrade naar KadastraleKaart Pro

Hoogteligging

k1uZSNLDxtfRUqqUpgrade naar KadastraleKaart Pro

Laatst gewijzigd

17/06/2010

Kadastrale kaart met maatvoering 59,95
Kadastrale kaart pakket 28,95

Percelen

Gebruik de zoekbalk of klik op een perceel om informatie over het perceel te bekijken.
Locatie
Meten
Lagen
Download