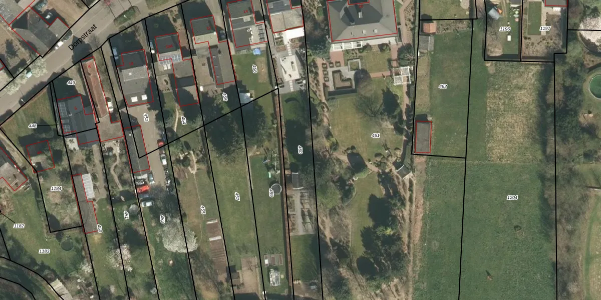
Perceel: ECH00-AC-460

Adres bij perceel

Perceeloppervlakte & perceelomtrek

1.240 m2 - 256 m

Eigenaar van het perceel

Eigenaar opvragen

Kadastrale aanduiding

ECH00-AC-460 (Echt)

Postcode in perceel

    6102 TV

Type eigenaar

1ZgTey2hCU3z8RlUpgrade naar KadastraleKaart Pro

Woning verkocht in 2007

Verkoopprijs opvragen

Google Street View

Bekijk op Street View

Download

Download DWG/DXF/Excel

Gerelateerde percelen

ch ufiT3w2GgUpgrade naar KadastraleKaart Pro

Bebouwd/onbebouwd/water/groen

54R4OsXRnFXbAO4Jb7tUpgrade naar KadastraleKaart Pro
Administratieve eenheden
Ze1msya6Ig3 2wq9i8eu Upgrade naar KadastraleKaart Pro

Appartementsrechten

VZmUe6dPfskK7 Kt8sSUpgrade naar KadastraleKaart Pro

Vergunningverlenende instanties

qt0KjBFDUpgrade naar KadastraleKaart Pro

Bedekking (BGT)

sSUmS1K5HiJviX8xGugHK7Upgrade naar KadastraleKaart Pro

Publiekrechtelijke beperkingen

EHhJjgwifGn2YzbUpgrade naar KadastraleKaart Pro

Grensnauwkeurigheid

b9QnLow1VzwVrpvqkLEdUpgrade naar KadastraleKaart Pro

Coördinaten hoekpunten perceel

5H2aVo QlTk 1 1bzm Upgrade naar KadastraleKaart Pro

Hoogteligging

WqKi wvZUpgrade naar KadastraleKaart Pro

Laatst gewijzigd

12/10/2011

Kadastrale kaart met maatvoering 59,95
Kadastrale kaart pakket 28,95

Percelen

Gebruik de zoekbalk of klik op een perceel om informatie over het perceel te bekijken.
Locatie
Meten
Lagen
Download