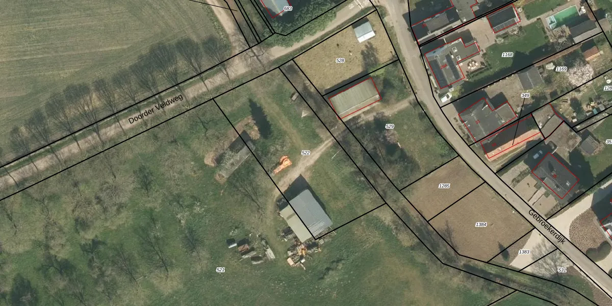
Perceel: ECH00-AC-522
Geen adressen bij dit perceel
1.380 m2 - 164 m
Eigenaar opvragen
ECH00-AC-522 (Echt)
- Geen postcode aanwezig
8HP lzhB9O5ytyT EX0QUpgrade naar KadastraleKaart Pro
Bekijk op Street View
Download DWG/DXF/Excel
XL2b2agMSGwgjeUpgrade naar KadastraleKaart Pro
N 7HzF52MKaWaLLtKaUpgrade naar KadastraleKaart Pro
W4u4kB iFh32erUpgrade naar KadastraleKaart Pro
3f etzN83Upgrade naar KadastraleKaart Pro
hx07rHcdjTxNo8 Ms7Upgrade naar KadastraleKaart Pro
kHQc oVgo4JKgHMgMUpgrade naar KadastraleKaart Pro
xlSft8OqEEMu8f3Upgrade naar KadastraleKaart Pro
lZ BQdl GaVUpgrade naar KadastraleKaart Pro
Q wQtRhbsl6X3WlZ6c75LYUpgrade naar KadastraleKaart Pro
WgqCpdsoUpgrade naar KadastraleKaart Pro
06/03/2003
Percelen
Gebruik de zoekbalk of klik op een perceel om informatie over het perceel te bekijken.








