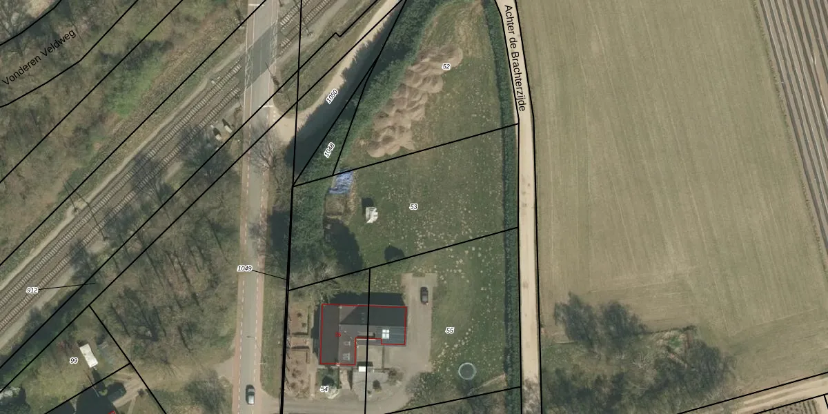
Perceel: ECH00-AD-53

Adres bij perceel

Geen adressen bij dit perceel

Perceeloppervlakte & perceelomtrek

1.370 m2 - 165 m

Eigenaar van het perceel

Eigenaar opvragen

Kadastrale aanduiding

ECH00-AD-53 (Echt)

Postcode in perceel

    Geen postcode aanwezig

Type eigenaar

RXfuv3ZgGdmy7BzTEyUpgrade naar KadastraleKaart Pro

Google Street View

Bekijk op Street View

Download

Download DWG/DXF/Excel

Gerelateerde percelen

8rNo8fs5e5 WKklIH2c7Upgrade naar KadastraleKaart Pro

Bebouwd/onbebouwd/water/groen

6hFULeu1EX1FuEmUpgrade naar KadastraleKaart Pro
Administratieve eenheden
qzdYKpX f2dHtuIWnddiUpgrade naar KadastraleKaart Pro

Appartementsrechten

2Fd39bX1NUpgrade naar KadastraleKaart Pro

Vergunningverlenende instanties

on RTpajjs7 LgkLod8LUpgrade naar KadastraleKaart Pro

Bedekking (BGT)

kwMA1hc9WBgzWmvyirUpgrade naar KadastraleKaart Pro

Publiekrechtelijke beperkingen

sbSJUg6uqAaC0H IPvNs9mcUpgrade naar KadastraleKaart Pro

Grensnauwkeurigheid

mb3IiSC8SMm0A97Upgrade naar KadastraleKaart Pro

Coördinaten hoekpunten perceel

OyzMoS1Alr7rUpgrade naar KadastraleKaart Pro

Hoogteligging

2nomSoA59 q8iU7TaYI89Upgrade naar KadastraleKaart Pro

Laatst gewijzigd

05/10/2011

Kadastrale kaart met maatvoering 59,95
Kadastrale kaart pakket 28,95

Percelen

Gebruik de zoekbalk of klik op een perceel om informatie over het perceel te bekijken.
Locatie
Meten
Lagen
Download