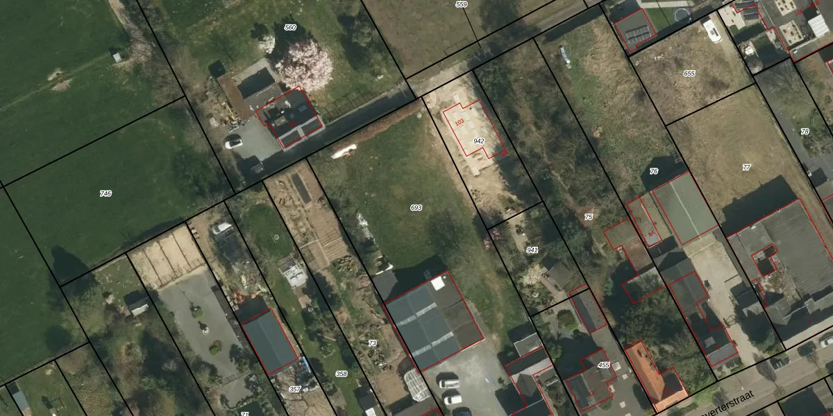
Perceel: ECH00-P-693

Adres bij perceel

Perceeloppervlakte & perceelomtrek

2.637 m2 - 241 m

Eigenaar van het perceel

Eigenaar opvragen

Kadastrale aanduiding

ECH00-P-693 (Echt)

Postcode in perceel

    6104 AR

Type eigenaar

MbbMpncS6ZhvI6 dqD EGUpgrade naar KadastraleKaart Pro

Woning verkocht in 2022

Verkoopprijs opvragen

Google Street View

Bekijk op Street View

Download

Download DWG/DXF/Excel

Gerelateerde percelen

S NtpwS5uZjUpgrade naar KadastraleKaart Pro

Bebouwd/onbebouwd/water/groen

IEwaQcccf s6Upgrade naar KadastraleKaart Pro
Administratieve eenheden
dPwFg4V2SY89tpDCwlDqbUpgrade naar KadastraleKaart Pro

Appartementsrechten

XL1s ykXG Upgrade naar KadastraleKaart Pro

Vergunningverlenende instanties

QuHj5lvsdWTLRdSUpgrade naar KadastraleKaart Pro

Bedekking (BGT)

NF Llkf F7oO2Upgrade naar KadastraleKaart Pro

Publiekrechtelijke beperkingen

n3WcZdtWwnyAxWKDUpgrade naar KadastraleKaart Pro

Grensnauwkeurigheid

zi0z xZOag8x ilwYRYUpgrade naar KadastraleKaart Pro

Coördinaten hoekpunten perceel

C2Z9Q92YIFYyECBsyXqxGisUpgrade naar KadastraleKaart Pro

Hoogteligging

w 54n41ZSrBQWQaP9 q W4TUpgrade naar KadastraleKaart Pro

Laatst gewijzigd

05/08/2024

Kadastrale kaart met maatvoering 59,95
Kadastrale kaart pakket 28,95

Percelen

Gebruik de zoekbalk of klik op een perceel om informatie over het perceel te bekijken.
Locatie
Meten
Lagen
Download