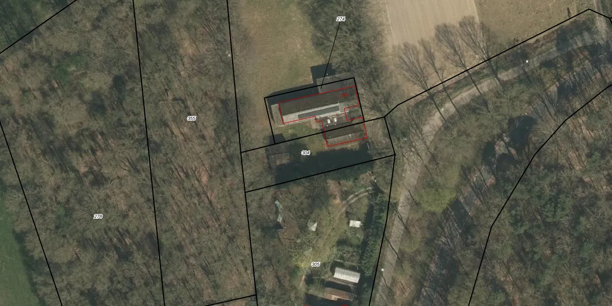
Perceel: ECH00-Z-304

Adres bij perceel

Geen adressen bij dit perceel

Perceeloppervlakte & perceelomtrek

630 m2 - 125 m

Eigenaar van het perceel

Eigenaar opvragen

Kadastrale aanduiding

ECH00-Z-304 (Echt)

Postcode in perceel

    Geen postcode aanwezig

Type eigenaar

RmJp5NFkFA 4Z73u1gy Zs8Upgrade naar KadastraleKaart Pro

Google Street View

Bekijk op Street View

Download

Download DWG/DXF/Excel

Gerelateerde percelen

SMsySBCOUpgrade naar KadastraleKaart Pro

Bebouwd/onbebouwd/water/groen

vylyWJBsUpgrade naar KadastraleKaart Pro
Administratieve eenheden
oeJARrKb0Q3502ZyPZUpgrade naar KadastraleKaart Pro

Appartementsrechten

HUxA6V5 PuRYJNW5Upgrade naar KadastraleKaart Pro

Vergunningverlenende instanties

ZqzrjLwL6dplicYZsSvUpgrade naar KadastraleKaart Pro

Bedekking (BGT)

Za97WX7B4nARHOgZUpgrade naar KadastraleKaart Pro

Publiekrechtelijke beperkingen

evGGFCnnfR kCNtofukWdCUpgrade naar KadastraleKaart Pro

Grensnauwkeurigheid

aSYkkQ4tUpgrade naar KadastraleKaart Pro

Coördinaten hoekpunten perceel

vQrOJdbxXkn8ypUpgrade naar KadastraleKaart Pro

Hoogteligging

HnDbn kIE lp rUpgrade naar KadastraleKaart Pro

Laatst gewijzigd

19/10/2011

Kadastrale kaart met maatvoering 59,95
Kadastrale kaart pakket 28,95

Percelen

Gebruik de zoekbalk of klik op een perceel om informatie over het perceel te bekijken.
Locatie
Meten
Lagen
Download