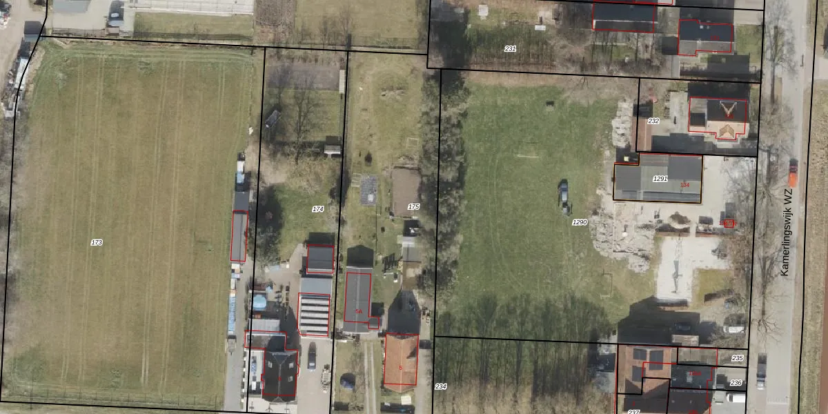
Perceel: EMN00-AF-175

2 adressen bij perceel

Hogeweg 5 t/m 5 A

Perceeloppervlakte & perceelomtrek

2.080 m2 - 224 m

Eigenaar van het perceel

Eigenaar opvragen

Kadastrale aanduiding

EMN00-AF-175 (Emmen)

Postcode in perceel

    7894 AS

Type eigenaar

2mbkSG74YnniIkmNrVMHCph1rUt MVUpgrade naar KadastraleKaart Pro

Woning verkocht in 2009

Verkoopprijs opvragen

Google Street View

Bekijk op Street View

Download

Download DWG/DXF/Excel

Gerelateerde percelen

JScx7IEid5QWFM6gc0 gCUpgrade naar KadastraleKaart Pro

Bebouwd/onbebouwd/water/groen

roDt6GB 1NvrZ24vYA2OzUpgrade naar KadastraleKaart Pro
Administratieve eenheden
ZZR WGZxLXZBPAmUpgrade naar KadastraleKaart Pro

Appartementsrechten

MjB toG LRZW0WYV xUpgrade naar KadastraleKaart Pro

Vergunningverlenende instanties

EXuNwud6zOb50gUpgrade naar KadastraleKaart Pro

Bedekking (BGT)

ODQX8HVMT5UO8rV3RUpgrade naar KadastraleKaart Pro

Publiekrechtelijke beperkingen

fKf43niy8RUpgrade naar KadastraleKaart Pro

Grensnauwkeurigheid

kdVjFEi DUpgrade naar KadastraleKaart Pro

Coördinaten hoekpunten perceel

8CVKkMy9 GZUpgrade naar KadastraleKaart Pro

Hoogteligging

DczXGYhwGRN66yNjWUpgrade naar KadastraleKaart Pro

Laatst gewijzigd

16/03/2010

Kadastrale kaart met maatvoering 59,95
Kadastrale kaart pakket 28,95

Percelen

Gebruik de zoekbalk of klik op een perceel om informatie over het perceel te bekijken.
Locatie
Meten
Lagen
Download