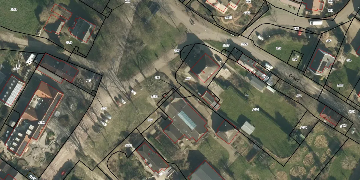
Perceel: EST00-B-338

Adres bij perceel

Geen adressen bij dit perceel

Perceeloppervlakte & perceelomtrek

40 m2 - 26 m

Eigenaar van het perceel

Eigenaar opvragen

Kadastrale aanduiding

EST00-B-338 (Est en Opijnen)

Postcode in perceel

    Geen postcode aanwezig

Type eigenaar

wCx PhYDbS8gzWgmADSwH go5Z0uUpgrade naar KadastraleKaart Pro

Google Street View

Bekijk op Street View

Download

Download DWG/DXF/Excel

Gerelateerde percelen

WR3bDTnrqKVoMUpgrade naar KadastraleKaart Pro

Bebouwd/onbebouwd/water/groen

NptUGkBMNbk2Rq 6rkd3zmmUpgrade naar KadastraleKaart Pro
Administratieve eenheden
g5ttj1ptPCBO8pUUpgrade naar KadastraleKaart Pro

Appartementsrechten

6NQQryOIJSPRG4pGFlLjyUpgrade naar KadastraleKaart Pro

Vergunningverlenende instanties

U MTdG4pUpgrade naar KadastraleKaart Pro

Bedekking (BGT)

3o7T50g QghC j jUpgrade naar KadastraleKaart Pro

Publiekrechtelijke beperkingen

2O 6ICfwU0mdUpgrade naar KadastraleKaart Pro

Grensnauwkeurigheid

0uwTnNusNEUpgrade naar KadastraleKaart Pro

Coördinaten hoekpunten perceel

xn2 h5BnLTCFPdHUpgrade naar KadastraleKaart Pro

Hoogteligging

B1iWBSWFTyg3d4AHUpgrade naar KadastraleKaart Pro

Laatst gewijzigd

25/01/2022

Kadastrale kaart met maatvoering 59,95
Kadastrale kaart pakket 28,95

Percelen

Gebruik de zoekbalk of klik op een perceel om informatie over het perceel te bekijken.
Locatie
Meten
Lagen
Download