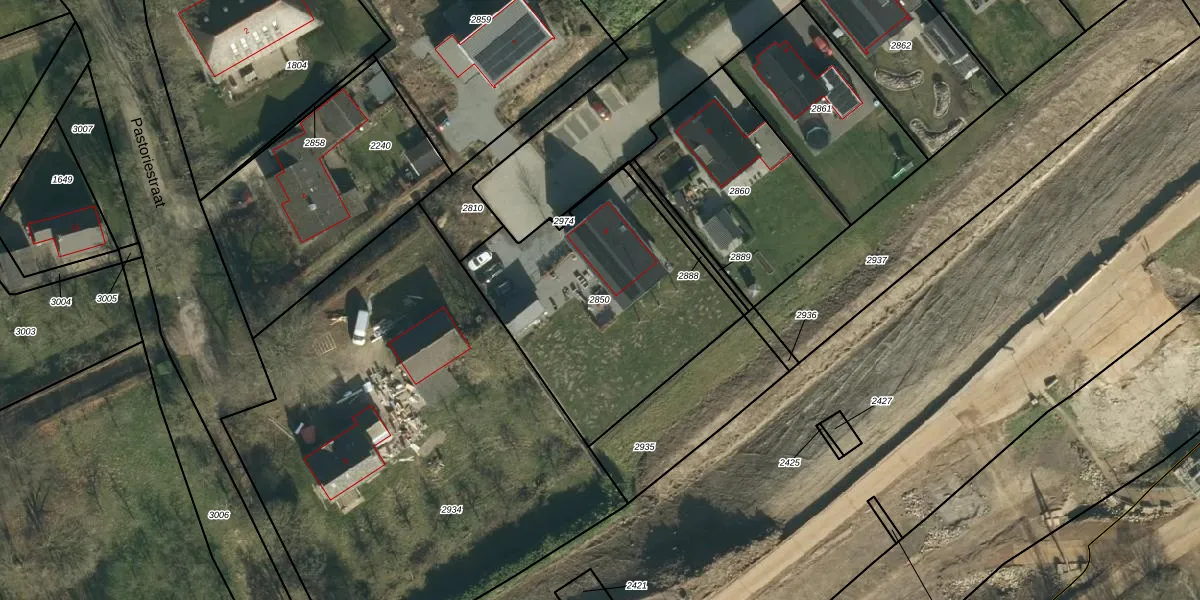
Perceel: EST00-C-2850

Adres bij perceel

Perceeloppervlakte & perceelomtrek

1.135 m2 - 141 m

Eigenaar van het perceel

Eigenaar opvragen

Kadastrale aanduiding

EST00-C-2850 (Est en Opijnen)

Postcode in perceel

    4184 EZ

Type eigenaar

SK68v p7Afsw3WD2sIUpgrade naar KadastraleKaart Pro

Woning verkocht in 2022

Verkoopprijs opvragen

Google Street View

Bekijk op Street View

Download

Download DWG/DXF/Excel

Gerelateerde percelen

E o665 eKpWtUpgrade naar KadastraleKaart Pro

Bebouwd/onbebouwd/water/groen

YxCmxkYjTayUpgrade naar KadastraleKaart Pro
Administratieve eenheden
iHJt rhXl lxZ ZEbLWs1PWUpgrade naar KadastraleKaart Pro

Appartementsrechten

Ww1GEYXrh Pn yAK HIUpgrade naar KadastraleKaart Pro

Vergunningverlenende instanties

pwiwcjeZmzegCEUpgrade naar KadastraleKaart Pro

Bedekking (BGT)

Uy9IKA5SxCbNMAI1Upgrade naar KadastraleKaart Pro

Publiekrechtelijke beperkingen

pG cFXHrUpgrade naar KadastraleKaart Pro

Grensnauwkeurigheid

Fpp TCIm04zmUpgrade naar KadastraleKaart Pro

Coördinaten hoekpunten perceel

xTtqf9RDa hy9iAGWRm7 OhUpgrade naar KadastraleKaart Pro

Hoogteligging

EZ7WkzuV FUpgrade naar KadastraleKaart Pro

Laatst gewijzigd

02/06/2023

Kadastrale kaart met maatvoering 59,95
Kadastrale kaart pakket 28,95

Percelen

Gebruik de zoekbalk of klik op een perceel om informatie over het perceel te bekijken.
Locatie
Meten
Lagen
Download