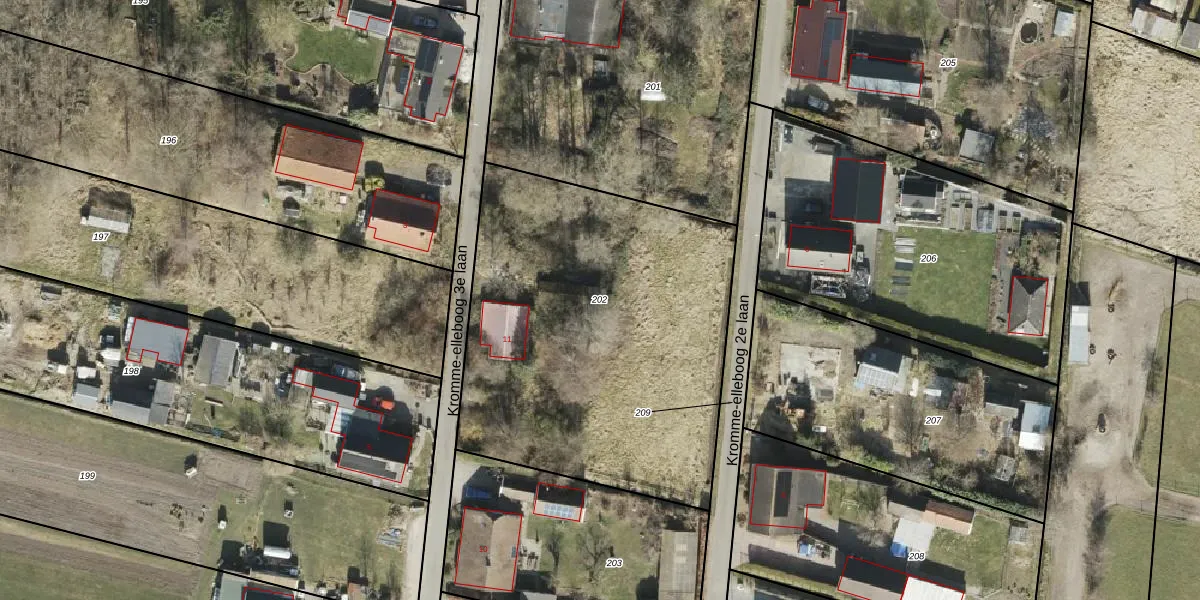
Perceel: FSW00-G-202

Perceeloppervlakte & perceelomtrek

2.069 m2 - 183 m

Eigenaar van het perceel

Eigenaar opvragen

Kadastrale aanduiding

FSW00-G-202 (Finsterwolde)

Postcode in perceel

    9684 XE

Type eigenaar

u2I4ub5H6 VXE63Zw3yYUpgrade naar KadastraleKaart Pro

Woning verkocht in 1998

Verkoopprijs opvragen

Google Street View

Bekijk op Street View

Download

Download DWG/DXF/Excel

Gerelateerde percelen

eS7j KY PEPPIQ6Ne2AK49Upgrade naar KadastraleKaart Pro

Bebouwd/onbebouwd/water/groen

A17n5j tUpgrade naar KadastraleKaart Pro
Administratieve eenheden
E RsGXZA GMUWUpgrade naar KadastraleKaart Pro

Appartementsrechten

tZFFaVHENg Psf6zUpgrade naar KadastraleKaart Pro

Vergunningverlenende instanties

DlAW2K0pUpgrade naar KadastraleKaart Pro

Bedekking (BGT)

nkMelUv jlCUpgrade naar KadastraleKaart Pro

Publiekrechtelijke beperkingen

ufHbmQqzMopQxNj0hHBHK6Upgrade naar KadastraleKaart Pro

Grensnauwkeurigheid

ISNuYnQN yEzU03LUpgrade naar KadastraleKaart Pro

Coördinaten hoekpunten perceel

P DqkoCW Upgrade naar KadastraleKaart Pro

Hoogteligging

HhFs70GAMlsUpgrade naar KadastraleKaart Pro

Laatst gewijzigd

30/09/1999

Kadastrale kaart met maatvoering 59,95
Kadastrale kaart pakket 28,95

Percelen

Gebruik de zoekbalk of klik op een perceel om informatie over het perceel te bekijken.
Locatie
Meten
Lagen
Download